Astegiudiziarie.it è parte di Rete Aste Network

Accedi o registrati

Non sei ancora registrato?

Oppure

Accedi

Abitazione di tipo economico, terreno

Frazione di Monsoreto, Corso Vittorio Emanuele III, 96, Dinami (VV)

€ 19.683,00

Offerta minima € 14.762,25


Codice A4298631

Lotto Lotto unico

Data udienza 03/03/2026 ore 11:00

Termine presentazione offerte 02/03/2026 ore 12:00

Abitazione di tipo economico, terreno

Frazione di Monsoreto, Corso Vittorio Emanuele III, 96, Dinami (VV)

€ 19.683,00

Offerta minima € 14.762,25


Codice A4298631

Lotto Lotto unico

Data udienza 03/03/2026 ore 11:00

Termine presentazione offerte 02/03/2026 ore 12:00

Ti interessa questa vendita?

Documentazione

Visualizza su mappa

Mappa geografica del bene

Punti di interesse

Fonte dati

Nel raggio di {{range}}Km

Loading...
  • {{ getIcon(poi.type) }} {{ poi.localized }}: {{poi.count}}
  • {{ getIcon(poi.type) }} {{ poi.localized }}: {{poi.count}}
Dati non disponibili

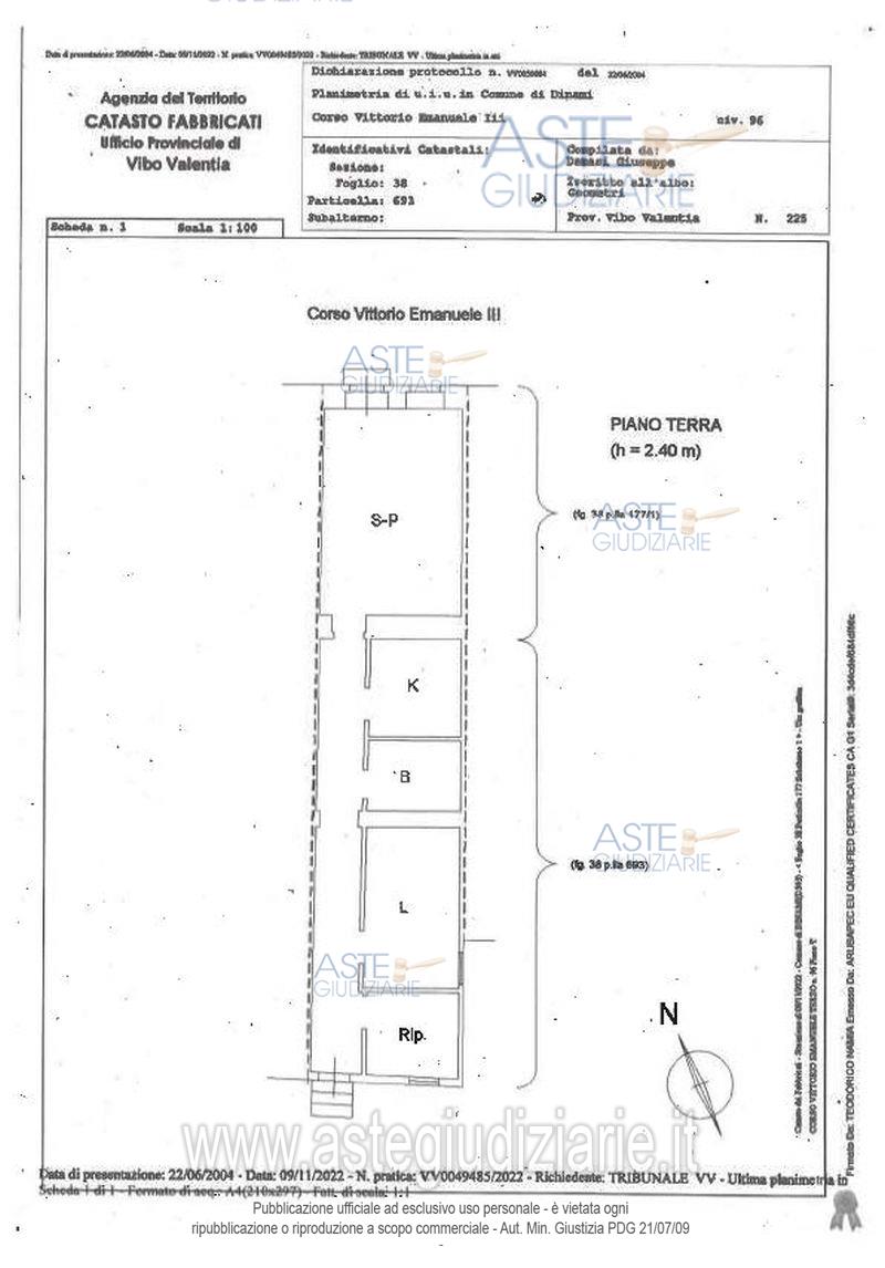
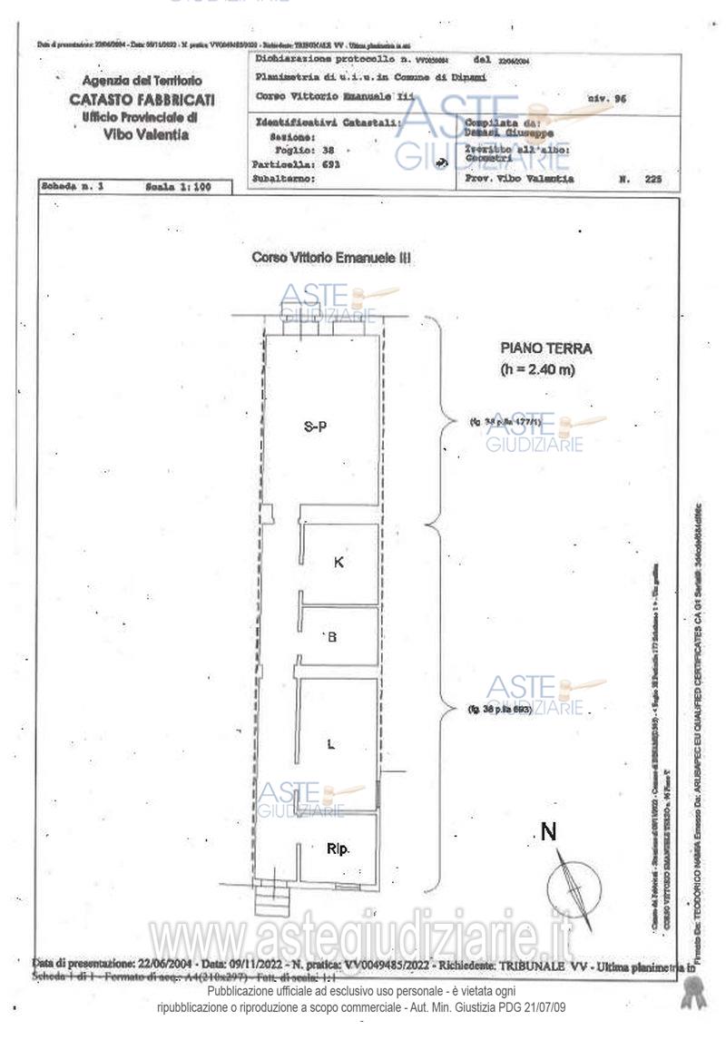
Immobile per civile abitazione posto al piano terra di vani 4, composto da ingresso, zona pranzo / cucina, bagno, letto con ripostiglio annesso. Superficie catastale e commerciale di mq 64.

Indirizzo
Frazione di Monsoreto, Corso Vittorio Emanuele III, 96, Dinami (VV)


Codice asta
4298631


Lotto
Lotto unico


Numero beni
2


Genere
Immobili


Categoria
Immobile residenziale


Valore di stima
-


Abitazione di tipo economico

Immobile per civile abitazione posto al piano terra di vani 4, composto da ingresso, zona pranzo / cucina, bagno, letto con ripostiglio annesso. Superficie catastale e commerciale di mq 64.

Indirizzo
Frazione di Monsoreto, Corso Vittorio Emanuele III, 96, Dinami (VV)


Piano
T


Disponibilità
OCCUP


Vani
4,00


Bagni
-


Metri quadri
64,00


Certificazione energetica
-


Dati catastali

Foglio:38, Particella:693-177, Subalterno:1


Terreno

Terreno (retrostante giardino) qualità seminativo, della superficie catastale di mq 436 e legnaia di 10 mq.

Indirizzo
Frazione di Monsoreto, Corso Vittorio Emanuele III, 96, Dinami (VV)


Piano
-


Disponibilità
OCCUP


Vani
-


Bagni
-


Metri quadri
436,00


Certificazione energetica
-


Dati catastali

Foglio:38, Particella:692


Data udienza
03/03/2026 ore 11:00


Tipo di vendita
Senza incanto


Modalità di vendita
Sincrona mista


Luogo
presso Sala D'Aste Telematica allestita dal Gestore della Vendita Edicom Finance srl, autorizzato dal GE, sita in Vibo Valentia via Corso Umberto I n. 160 (Palazzo Stagno - D'Alcontres) piano terra ri - Vibo Valentia 89900


Luogo presentazione offerte
-


Termine presentazione offerte
02/03/2026 ore 12:00


Prezzo base
€ 19.683,00


Offerta minima
€ 14.762,25


Rialzo minimo in caso di gara
€ 787,32


Deposito cauzionale
-


Deposito in conto spese
-


Tribunale
Vibo Valentia

Tipo di procedura
Esecuzione immobiliare post legge 80

Ruolo
55/2021

Giudice
Orefice Giulia

Recapiti
-

Email
-

Delegato alla vendita
Figliano Anna
(Procede alle operazioni di vendita)

Recapiti
Tel. 0963269488

Email
studiolegalefigliano@libero.it

Custode giudiziario
Figliano Anna
(Gestisce la visita del bene)

Recapiti
Tel. 0963269488

Scheda COD. 4298631 - Pubblicata dal 16/12/2025

La presente scheda di vendita riporta integralmente informazioni e documenti pervenuti ufficialmente dal Ministero e dal professionista incaricato.

Pubblicazione notarizzata su Blockchain


Pubblicazione autorizzata dall’Autorità competente, è vietata ogni ripubblicazione o riproduzione anche parziale


Ti interessa questa vendita?

Documentazione

Visualizza su mappa

Mappa geografica del bene

Storico delle vendite

Data venditaPrezzo base
07/05/2024€ 27.000,00
26/07/2024€ 24.300,00
22/10/2024€ 21.870,00
16/01/2025€ 19.683,00
29/05/2025€ 19.683,00
11/09/2025€ 19.683,00
04/12/2025€ 19.683,00
03/03/2026€ 19.683,00

Punti di interesse

Fonte dati

Nel raggio di {{range}}Km

Loading...
  • {{ getIcon(poi.type) }} {{ poi.localized }}: {{poi.count}}
  • {{ getIcon(poi.type) }} {{ poi.localized }}: {{poi.count}}
Dati non disponibili