Astegiudiziarie.it è parte di Rete Aste Network

Accedi o registrati

Non sei ancora registrato?

Oppure

Accedi

Abitazione di tipo popolare

Via Nazionale, 29, Cittaducale (RI)

€ 73.125,00

Offerta minima € 54.843,75


Codice A4335900

Lotto 2

Data udienza 27/04/2026 ore 12:40

Termine presentazione offerte 24/04/2026 ore 12:00

Abitazione di tipo popolare

Via Nazionale, 29, Cittaducale (RI)

€ 73.125,00

Offerta minima € 54.843,75


Codice A4335900

Lotto 2

Data udienza 27/04/2026 ore 12:40

Termine presentazione offerte 24/04/2026 ore 12:00

Ti interessa questa vendita?

Documentazione

Visualizza su mappa

Mappa geografica del bene

Punti di interesse

Fonte dati

Nel raggio di {{range}}Km

Loading...
  • {{ getIcon(poi.type) }} {{ poi.localized }}: {{poi.count}}
  • {{ getIcon(poi.type) }} {{ poi.localized }}: {{poi.count}}
Dati non disponibili

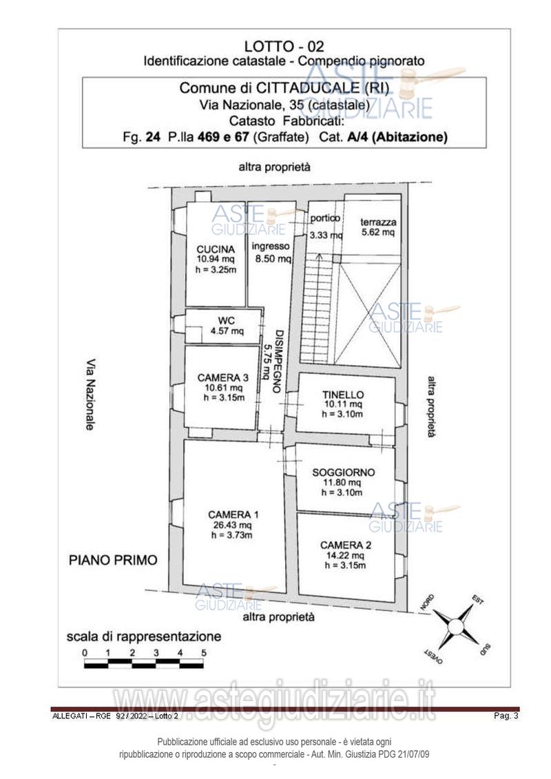
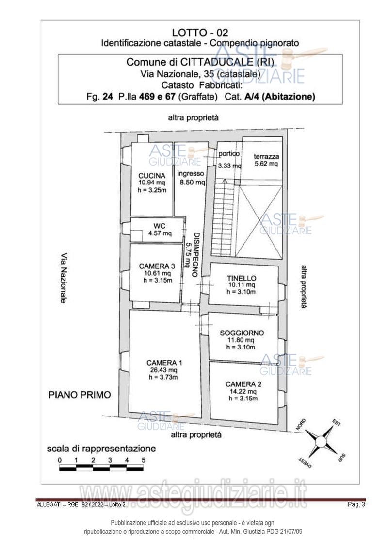
Piena proprietà per la quota di 1/1 Edificio ad uso residenziale ABITAZIONE indipendente Comune di CITTADUCALE (RI) – 02015 Centro Storico Capoluogo Via Nazionale n. 29; Edificio “terra-tetto”, autonomo, indipendente, ubicato nella cinta esterna nord del centro storico con ingresso ed affaccio principale sulla Via Nazionale (“ex Salaria”) civico n. 29 (catastalmente n. 35). L’edificio, risalente al XIX sec. si sviluppa su due livelli p.terra e primo.

Indirizzo
Via Nazionale, 29, Cittaducale (RI)


Codice asta
4335900


Lotto
2


Numero beni
1


Genere
Immobili


Categoria
Immobile residenziale


Valore di stima
-


Abitazione di tipo popolare

Piena proprietà per la quota di 1/1 Edificio ad uso residenziale ABITAZIONE indipendente Comune di CITTADUCALE (RI) – 02015 Centro Storico Capoluogo Via Nazionale n. 29; Edificio “terra-tetto”, autonomo, indipendente, ubicato nella cinta esterna nord del centro storico con ingresso ed affaccio principale sulla Via Nazionale (“ex Salaria”) civico n. 29 (catastalmente n. 35). L’edificio, risalente al XIX sec. si sviluppa su due livelli p.terra e primo.

Indirizzo
Via Nazionale, 29, Cittaducale (RI)


Piano
T e1


Disponibilità
LIBERO


Vani
7,00


Bagni
-


Metri quadri
-


Certificazione energetica
-


Dati catastali

Foglio:24, Particella:469, Subalterno:67


Data udienza
27/04/2026 ore 12:40


Tipo di vendita
Senza incanto


Modalità di vendita
Asincrona telematica


Luogo
N.A. -


Luogo presentazione offerte
-


Termine presentazione offerte
24/04/2026 ore 12:00


Prezzo base
€ 73.125,00


Offerta minima
€ 54.843,75


Rialzo minimo in caso di gara
€ 1.300,00


Deposito cauzionale
-


Deposito in conto spese
-


Tribunale
Rieti

Tipo di procedura
Esecuzione immobiliare post legge 80

Ruolo
92/2022

Giudice
Colonnello Roberto

Recapiti
-

Email
-

Delegato alla vendita
Blasi Francesca
(Procede alle operazioni di vendita)

Recapiti
Cell. 3331710346
Tel. 0746204591

Email
francesca@avvocatoblasi.it

Custode giudiziario
Blasi Francesca
(Gestisce la visita del bene)

Recapiti
Cell. 3331710346
Tel. 0746204591

Scheda COD. 4335900 - Pubblicata dal 25/02/2026

La presente scheda di vendita riporta integralmente informazioni e documenti pervenuti ufficialmente dal Ministero e dal professionista incaricato.

Pubblicazione notarizzata su Blockchain


Pubblicazione autorizzata dall’Autorità competente, è vietata ogni ripubblicazione o riproduzione anche parziale


Ti interessa questa vendita?

Documentazione

Visualizza su mappa

Mappa geografica del bene

Storico delle vendite

Data venditaPrezzo base
10/11/2025€ 130.000,00
09/02/2026€ 97.500,00
27/04/2026€ 73.125,00

Punti di interesse

Fonte dati

Nel raggio di {{range}}Km

Loading...
  • {{ getIcon(poi.type) }} {{ poi.localized }}: {{poi.count}}
  • {{ getIcon(poi.type) }} {{ poi.localized }}: {{poi.count}}
Dati non disponibili