Astegiudiziarie.it è parte di Rete Aste Network

Accedi o registrati

Non sei ancora registrato?

Oppure

Accedi

Appartamento

Via Armando Diaz, 143, Ceccano (FR)

€ 34.409,00

Offerta minima € 25.807,00


Codice A4296585

Lotto 1

Data udienza 09/06/2026 ore 15:15

Termine presentazione offerte 08/06/2026 ore 12:00

Appartamento

Via Armando Diaz, 143, Ceccano (FR)

€ 34.409,00

Offerta minima € 25.807,00


Codice A4296585

Lotto 1

Data udienza 09/06/2026 ore 15:15

Termine presentazione offerte 08/06/2026 ore 12:00

Ti interessa questa vendita?

Documentazione

Visualizza su mappa

Mappa geografica del bene

Punti di interesse

Fonte dati

Nel raggio di {{range}}Km

Loading...
  • {{ getIcon(poi.type) }} {{ poi.localized }}: {{poi.count}}
  • {{ getIcon(poi.type) }} {{ poi.localized }}: {{poi.count}}
Dati non disponibili

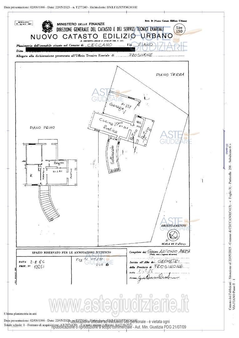
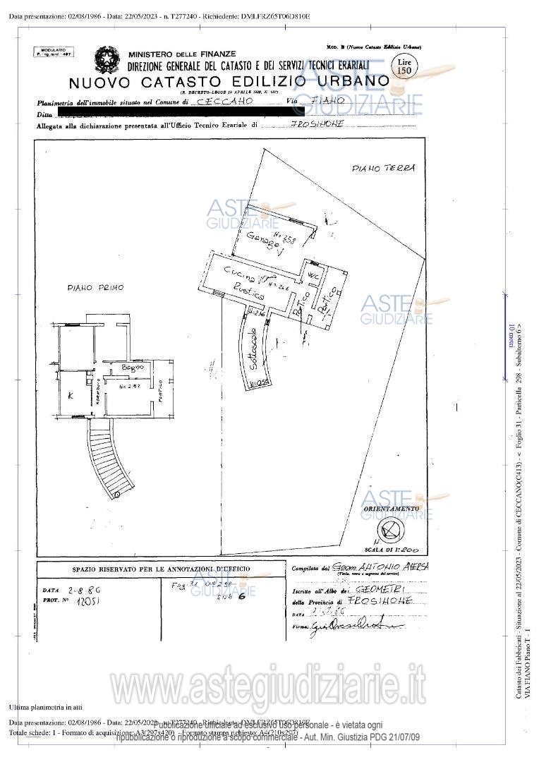
Appartamento al piano primo e locale deposito, garage, portico e corte esclusiva di mq. 650,00.

Indirizzo
Via Armando Diaz, 143, Ceccano (FR)


Codice asta
4296585


Lotto
1


Numero beni
1


Genere
Immobili


Categoria
Immobile residenziale


Valore di stima
-


Appartamento

Appartamento al piano primo e locale deposito, garage, portico e corte esclusiva di mq. 650,00.

Indirizzo
Via Armando Diaz, 143, Ceccano (FR)


Piano
-


Disponibilità
-


Vani
0,00


Bagni
-


Metri quadri
9625,00


Certificazione energetica
-


Data udienza
09/06/2026 ore 15:15


Tipo di vendita
Senza incanto


Modalità di vendita
Asincrona telematica


Luogo
N.A. -


Luogo presentazione offerte
-


Termine presentazione offerte
08/06/2026 ore 12:00


Prezzo base
€ 34.409,00


Offerta minima
€ 25.807,00


Rialzo minimo in caso di gara
€ 3.400,00


Deposito cauzionale
10% del prezzo offerto


Deposito in conto spese
-


Tribunale
Frosinone

Tipo di procedura
Esecuzione immobiliare post legge 80

Ruolo
19/2023

Giudice
Ferdinandi Francesco

Recapiti
-

Email
-

Delegato alla vendita
Silenzi Franco
(Procede alle operazioni di vendita)

Recapiti
-

Email
silenzifranco@virgilio.it

Custode giudiziario
Silenzi Franco
(Gestisce la visita del bene)

Recapiti
-

Scheda COD. 4296585 - Pubblicata dal 15/04/2026

La presente scheda di vendita riporta integralmente informazioni e documenti pervenuti ufficialmente dal Ministero e dal professionista incaricato.


Pubblicazione autorizzata dall’Autorità competente, è vietata ogni ripubblicazione o riproduzione anche parziale


Ti interessa questa vendita?

Documentazione

Visualizza su mappa

Mappa geografica del bene

Storico delle vendite

Data venditaPrezzo base
07/05/2024€ 145.000,00
04/09/2024€ 108.750,00
18/12/2024€ 81.562,00
19/11/2025€ 61.171,00
25/02/2026€ 45.878,00
09/06/2026€ 34.409,00

Punti di interesse

Fonte dati

Nel raggio di {{range}}Km

Loading...
  • {{ getIcon(poi.type) }} {{ poi.localized }}: {{poi.count}}
  • {{ getIcon(poi.type) }} {{ poi.localized }}: {{poi.count}}
Dati non disponibili