Astegiudiziarie.it è parte di Rete Aste Network

Accedi o registrati

Non sei ancora registrato?

Oppure

Accedi

Appartamento

Via Ughetti, 13, Catania (CT)

€ 205.665,00

Offerta minima € 154.250,00


Codice A317951

Lotto Lotto unico

Data udienza 23/06/2026 ore 09:30

Termine presentazione offerte 22/06/2026 ore 13:00

Appartamento

Via Ughetti, 13, Catania (CT)

€ 205.665,00

Offerta minima € 154.250,00


Codice A317951

Lotto Lotto unico

Data udienza 23/06/2026 ore 09:30

Termine presentazione offerte 22/06/2026 ore 13:00

Ti interessa questa vendita?

Documentazione

Visualizza su mappa

Mappa geografica del bene

Punti di interesse

Fonte dati

Nel raggio di {{range}}Km

Loading...
  • {{ getIcon(poi.type) }} {{ poi.localized }}: {{poi.count}}
  • {{ getIcon(poi.type) }} {{ poi.localized }}: {{poi.count}}
Dati non disponibili

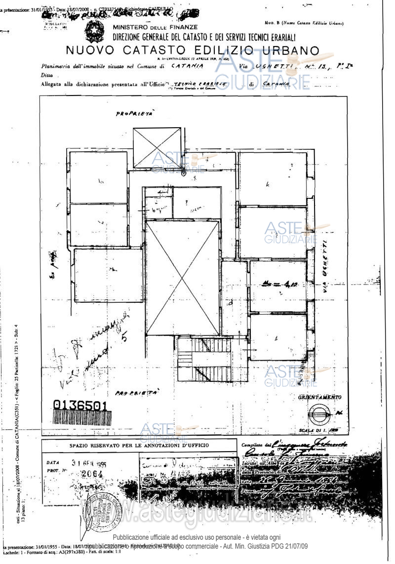
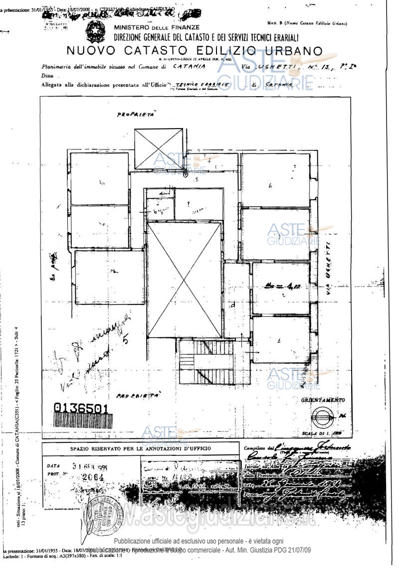
Appartamento al piano primo (seconda elevazione fuori terra), composto da dieci vani catastali.

Indirizzo
Via Ughetti, 13, Catania (CT)


Codice asta
317951


Lotto
Lotto unico


Numero beni
1


Genere
Immobili


Categoria
Immobile residenziale


Valore di stima
-


Appartamento

Appartamento al piano primo (seconda elevazione fuori terra), composto da dieci vani catastali.

Indirizzo
Via Ughetti, 13, Catania (CT)


Piano
-


Disponibilità
-


Vani
10,00


Bagni
-


Metri quadri
195,00


Certificazione energetica
-


Data udienza
23/06/2026 ore 09:30


Tipo di vendita
Senza incanto


Modalità di vendita
Sincrona mista


Luogo
Aste Giudiziarie Inlinea - Corso delle Province, 203 Sc. e - Catania 95100


Luogo presentazione offerte
-


Termine presentazione offerte
22/06/2026 ore 13:00


Prezzo base
€ 205.665,00


Offerta minima
€ 154.250,00


Rialzo minimo in caso di gara
€ 3.000,00


Deposito cauzionale
10% del prezzo offerto


Deposito in conto spese
-


Tribunale
Catania

Tipo di procedura
Esecuzione immobiliare post legge 80

Ruolo
138/2008

Giudice
Mangiameli Nelly gaia

Recapiti
-

Email
-

Delegato alla vendita
Pittella Arturo
(Procede alle operazioni di vendita)
(Gestisce la visita del bene)

Recapiti
-

Scheda COD. 317951 - Pubblicata dal 16/04/2026

La presente scheda di vendita riporta integralmente informazioni e documenti pervenuti ufficialmente dal Ministero e dal professionista incaricato.

Pubblicazione notarizzata su Blockchain


Pubblicazione autorizzata dall’Autorità competente, è vietata ogni ripubblicazione o riproduzione anche parziale


Ti interessa questa vendita?

Documentazione

Visualizza su mappa

Mappa geografica del bene

Storico delle vendite

Data venditaPrezzo base
02/12/2015€ 650.000,00
16/12/2015€ 650.000,00
14/05/2024€ 487.500,00
28/01/2025€ 365.625,00
09/10/2025€ 274.220,00
23/06/2026€ 205.665,00

Punti di interesse

Fonte dati

Nel raggio di {{range}}Km

Loading...
  • {{ getIcon(poi.type) }} {{ poi.localized }}: {{poi.count}}
  • {{ getIcon(poi.type) }} {{ poi.localized }}: {{poi.count}}
Dati non disponibili