Astegiudiziarie.it è parte di Rete Aste Network

Accedi o registrati

Non sei ancora registrato?

Oppure

Accedi

Abitazione di tipo economico

Via Centrale, 63, 10010 San Giovanni TO, Italia, Castellamonte (TO)

€ 31.957,03

Offerta minima € 23.967,78


Codice A4322614

Lotto Lotto unico

Data udienza 09/06/2026 ore 09:15

Termine presentazione offerte 08/06/2026 ore 12:00

Abitazione di tipo economico

Via Centrale, 63, 10010 San Giovanni TO, Italia, Castellamonte (TO)

€ 31.957,03

Offerta minima € 23.967,78


Codice A4322614

Lotto Lotto unico

Data udienza 09/06/2026 ore 09:15

Termine presentazione offerte 08/06/2026 ore 12:00

Ti interessa questa vendita?

Documentazione

Visualizza su mappa

Mappa geografica del bene

Punti di interesse

Fonte dati

Nel raggio di {{range}}Km

Loading...
  • {{ getIcon(poi.type) }} {{ poi.localized }}: {{poi.count}}
  • {{ getIcon(poi.type) }} {{ poi.localized }}: {{poi.count}}
Dati non disponibili

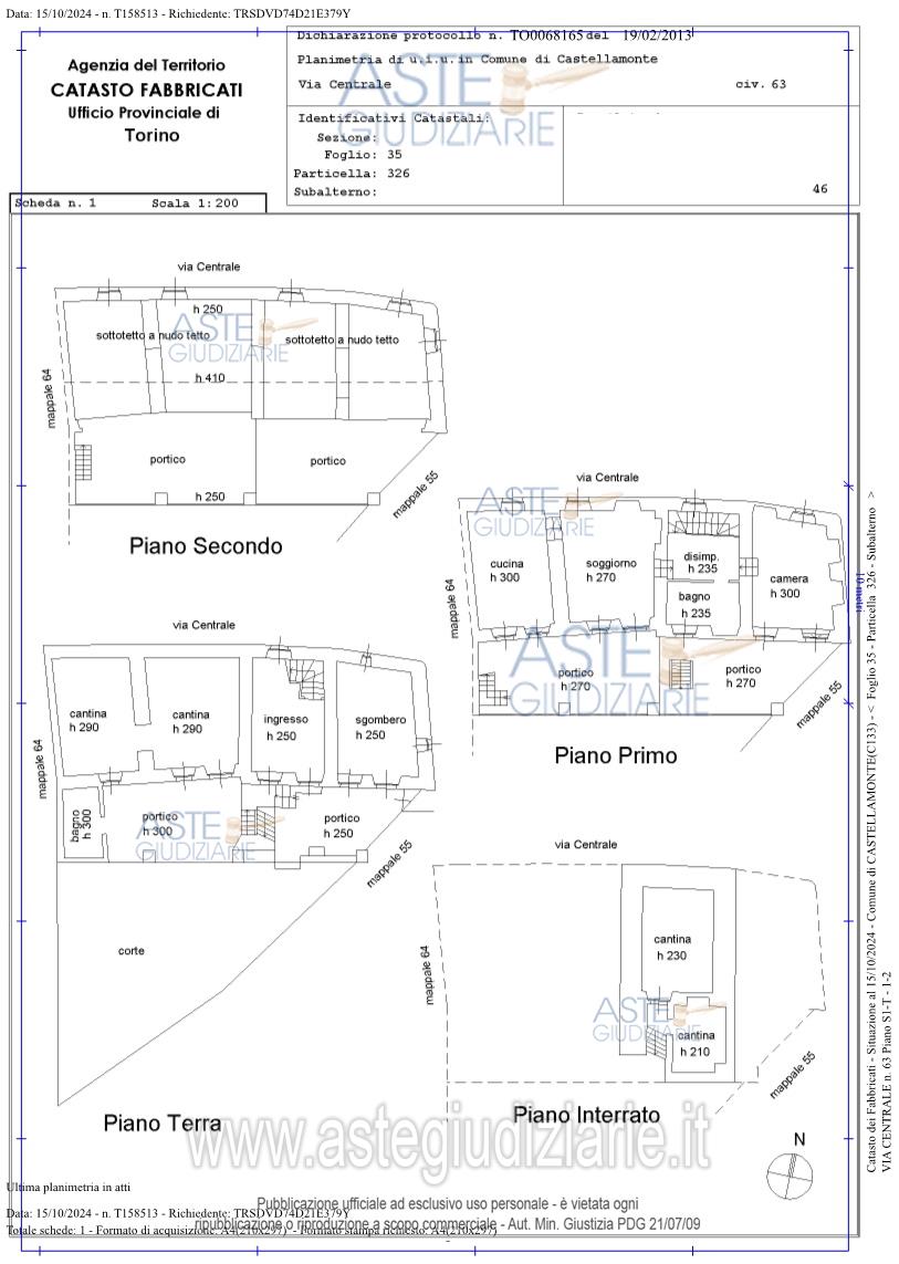
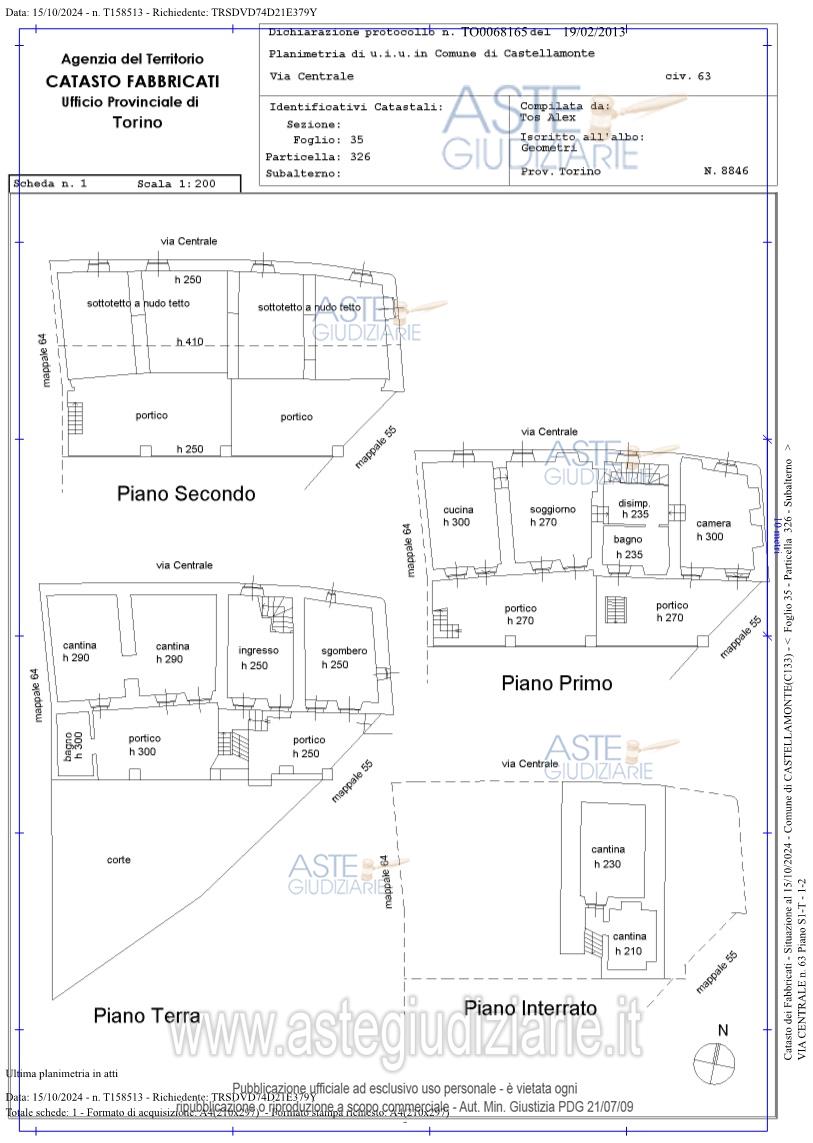
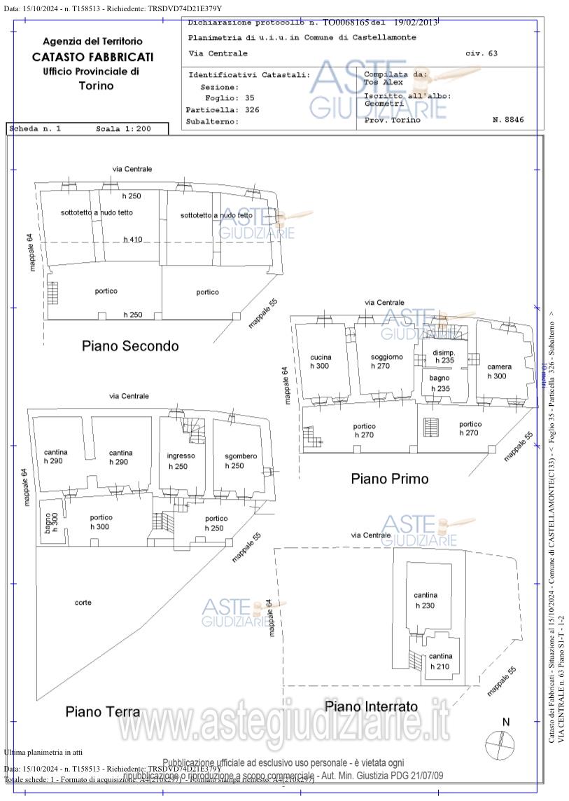
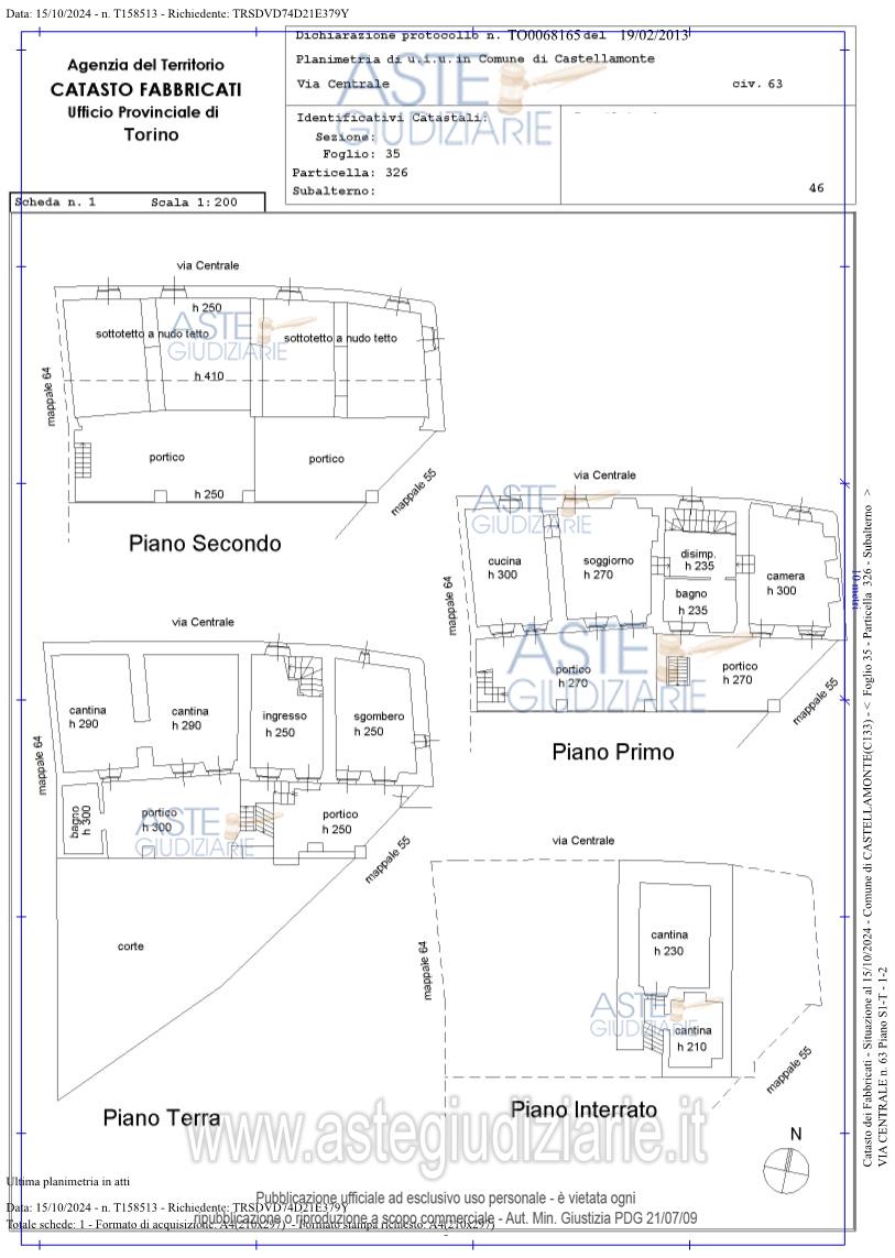
Unità immobiliare abitativa dislocata su tre livelli fuori terra ed uno entroterra con cantine

Indirizzo
Via Centrale, 63, 10010 San Giovanni TO, Italia, Castellamonte (TO)


Codice asta
4322614


Lotto
Lotto unico


Numero beni
1


Genere
Immobili


Categoria
Immobile residenziale


Valore di stima
-


Abitazione di tipo economico

Appartamento composto:- al piano interrato da due locali cantina;- al piano terreno da portico, ingresso, cucina, due cantine, bagno (in disuso) ecortile;- al piano primo accessibile da scala esterna ed interna, disimpegno, tre camere,bagno e portico;- al piano secondo accessibile da scala esterna, sottotetto a nudo tetto e portico.

Indirizzo
Via Centrale, 63, 10010 San Giovanni TO, Italia, Castellamonte (TO)


Piano
-


Disponibilità
-


Vani
7,50


Bagni
-


Metri quadri
215,00


Certificazione energetica
-


Data udienza
09/06/2026 ore 09:15


Tipo di vendita
Senza incanto


Modalità di vendita
Asincrona telematica


Luogo
N.A. -


Luogo presentazione offerte
-


Termine presentazione offerte
08/06/2026 ore 12:00


Prezzo base
€ 31.957,03


Offerta minima
€ 23.967,78


Rialzo minimo in caso di gara
€ 2.000,00


Deposito cauzionale
10% del prezzo offerto


Deposito in conto spese
-


Tribunale
Ivrea

Tipo di procedura
Espropriazione immobiliare (cartabia)

Ruolo
147/2024

Delegato alla vendita
Milano Emanuela
(Procede alle operazioni di vendita)

Recapiti
Cell. 3393587861

Email
emamilano@libero.it

Custode giudiziario
Torino ifir piemonte 
(Gestisce la visita del bene)

Recapiti
-

Scheda COD. 4322614 - Pubblicata dal 25/03/2026

La presente scheda di vendita riporta integralmente informazioni e documenti pervenuti ufficialmente dal Ministero e dal professionista incaricato.


Pubblicazione autorizzata dall’Autorità competente, è vietata ogni ripubblicazione o riproduzione anche parziale


Ti interessa questa vendita?

Documentazione

Visualizza su mappa

Mappa geografica del bene

Storico delle vendite

Data venditaPrezzo base
06/05/2025€ 101.000,00
09/09/2025€ 75.750,00
02/12/2025€ 56.812,50
03/03/2026€ 42.609,38
09/06/2026€ 31.957,03

Punti di interesse

Fonte dati

Nel raggio di {{range}}Km

Loading...
  • {{ getIcon(poi.type) }} {{ poi.localized }}: {{poi.count}}
  • {{ getIcon(poi.type) }} {{ poi.localized }}: {{poi.count}}
Dati non disponibili