Astegiudiziarie.it è parte di Rete Aste Network

Accedi o registrati

Non sei ancora registrato?

Oppure

Accedi

Abitazione di tipo popolare

Via Benvenuto Sangiorgio, 22, 15033 Casale Monferrato AL, Italia, Casale Monferrato (AL)

€ 29.896,87

Offerta minima € 22.422,66


Codice A4329069

Lotto 2

Data udienza 27/01/2026 ore 16:00

Termine presentazione offerte 26/01/2026 ore 12:00

Abitazione di tipo popolare

Via Benvenuto Sangiorgio, 22, 15033 Casale Monferrato AL, Italia, Casale Monferrato (AL)

€ 29.896,87

Offerta minima € 22.422,66


Codice A4329069

Lotto 2

Data udienza 27/01/2026 ore 16:00

Termine presentazione offerte 26/01/2026 ore 12:00

Ti interessa questa vendita?

Documentazione

Visualizza su mappa

Mappa geografica del bene

Punti di interesse

Fonte dati

Nel raggio di {{range}}Km

Loading...
  • {{ getIcon(poi.type) }} {{ poi.localized }}: {{poi.count}}
  • {{ getIcon(poi.type) }} {{ poi.localized }}: {{poi.count}}
Dati non disponibili

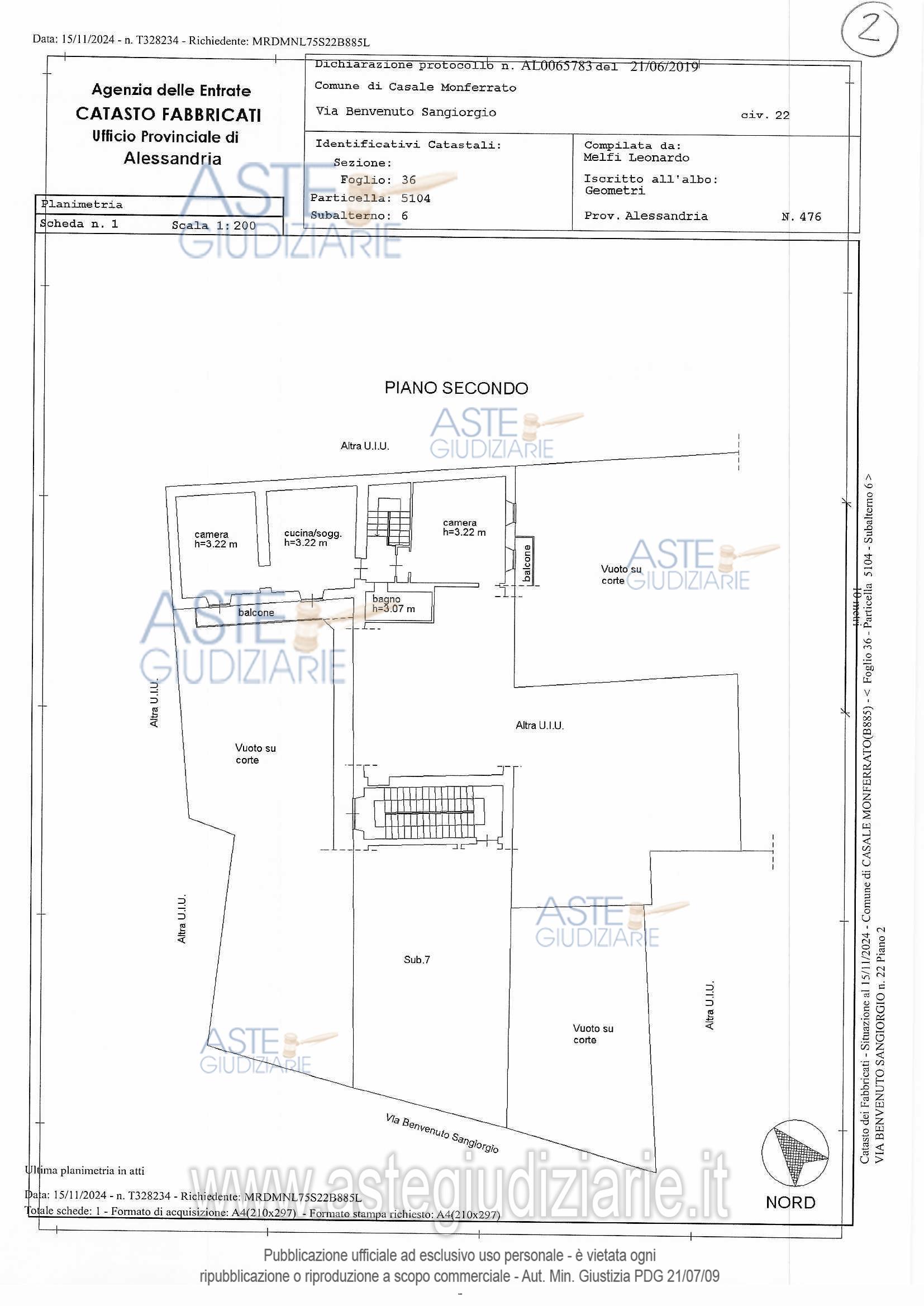
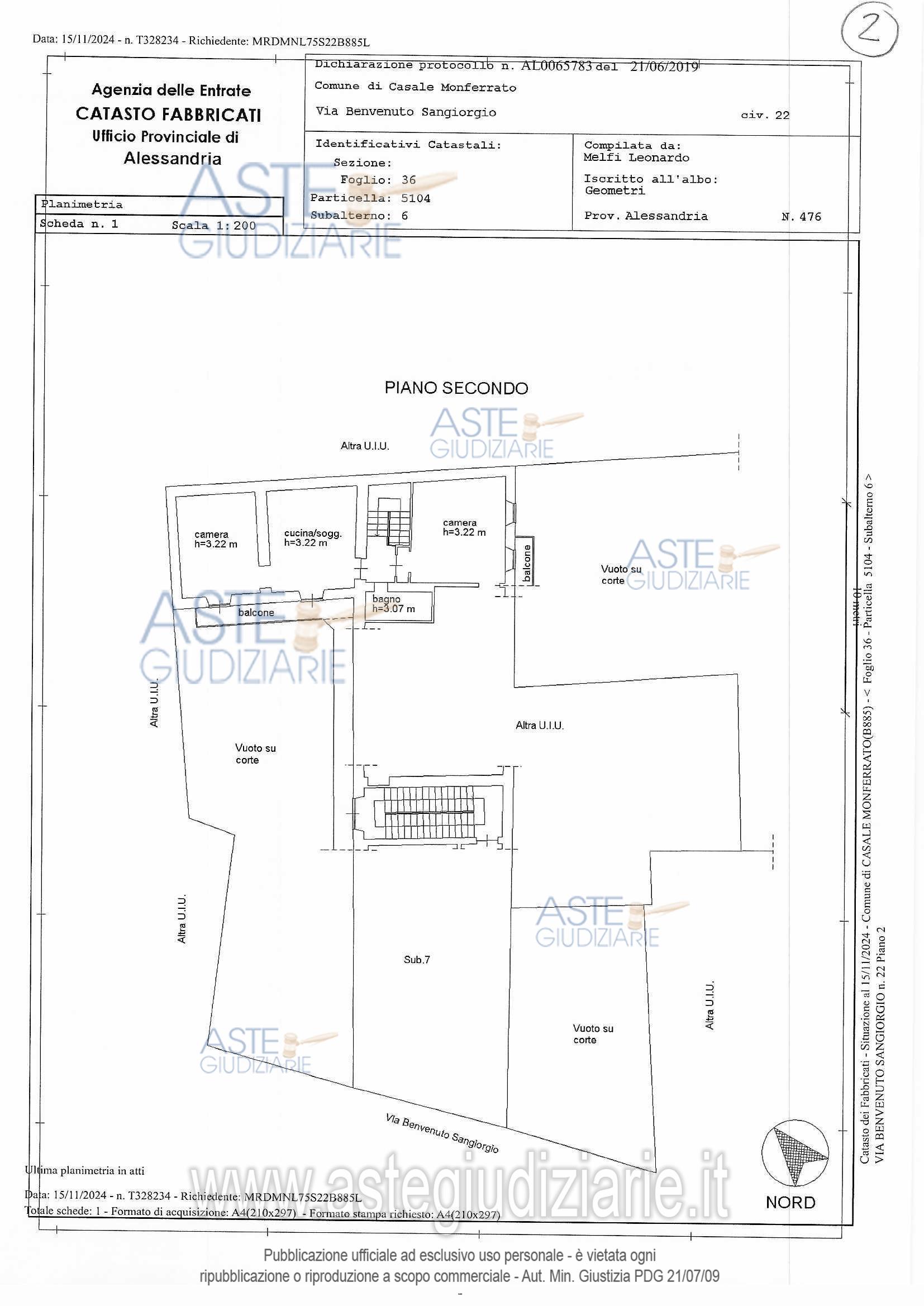
Unità residenziale posta al piano secondo, ma non a regime condominiale. L’unità è accessibile dal cortile (presunto comune) da scala interna che serve tutte e due le unità poste in vendita e si sviluppa su un unico piano con ingresso su cucina/soggiorno ed una camera serviti da balcone. Il bagno si trova sul pianerottolo esterno. L’unità ha di pertinenza una ulteriore camera non comunicante ma accessibile dal medesimo pianerottolo ove è ubicato il bagno e parte di un balcone non direttamente accessibile.

Indirizzo
Via Benvenuto Sangiorgio, 22, 15033 Casale Monferrato AL, Italia, Casale Monferrato (AL)


Codice asta
4329069


Lotto
2


Numero beni
1


Genere
Immobili


Categoria
Immobile residenziale


Valore di stima
-


Abitazione di tipo popolare

unità immobiliare a destinazione residenziale posta al piano secondo di edificio costituito da più unità, ma non a regime condominiale. L’unità è accessibile dal cortile (presunto comune) da scala interna che serve tutte e due le unità poste in vendita, e si sviluppa su un unico piano con ingresso su cucina/soggiorno ed una camera serviti da balcone. Il bagno si trova sul pianerottolo esterno. L’unità ha di pertinenza una ulteriore camera non comunicante ma accessibile dal medesimo pianerottolo ove è ubicato il bagno e parte di un balcone non usufruibile perché non direttamente accessibile.

Indirizzo
Via Benvenuto Sangiorgio, 22, 15033 Casale Monferrato AL, Italia, Casale Monferrato (AL)


Piano
2


Disponibilità
LIBER


Vani
4,00


Bagni
-


Metri quadri
94,00


Certificazione energetica
-


Dati catastali

Foglio:36, Particella:5104, Sub particella:6


Data udienza
27/01/2026 ore 16:00


Tipo di vendita
Senza incanto


Modalità di vendita
Asincrona telematica


Luogo
N.A. -


Luogo presentazione offerte
-


Termine presentazione offerte
26/01/2026 ore 12:00


Prezzo base
€ 29.896,87


Offerta minima
€ 22.422,66


Rialzo minimo in caso di gara
€ 1.000,00


Deposito cauzionale
10% del prezzo offerto


Deposito in conto spese
-


Tribunale
Vercelli

Tipo di procedura
Espropriazione immobiliare (cartabia)

Ruolo
164/2024

Giudice
Gaspari Edoardo

Recapiti
-

Email
-

Delegato alla vendita
Olmo Francesca
(Procede alle operazioni di vendita)
(Gestisce la visita del bene)

Recapiti
Tel. 0161210172

Scheda COD. 4329069 - Pubblicata dal 27/11/2025

La presente scheda di vendita riporta integralmente informazioni e documenti pervenuti ufficialmente dal Ministero e dal professionista incaricato.


Pubblicazione autorizzata dall’Autorità competente, è vietata ogni ripubblicazione o riproduzione anche parziale


Ti interessa questa vendita?

Documentazione

Visualizza su mappa

Mappa geografica del bene

Storico delle vendite

Data venditaPrezzo base
22/07/2025€ 53.150,00
04/11/2025€ 39.862,50
27/01/2026€ 29.896,87

Punti di interesse

Fonte dati

Nel raggio di {{range}}Km

Loading...
  • {{ getIcon(poi.type) }} {{ poi.localized }}: {{poi.count}}
  • {{ getIcon(poi.type) }} {{ poi.localized }}: {{poi.count}}
Dati non disponibili