Astegiudiziarie.it è parte di Rete Aste Network

Accedi o registrati

Non sei ancora registrato?

Oppure

Accedi

Abitazione di tipo economico

Via San Gregorio, snc, Cantalice (RI)

€ 14.100,00

Offerta minima € 10.575,00


Codice A4349617

Lotto 2

Data udienza 13/07/2026 ore 10:20

Termine presentazione offerte 10/07/2026 ore 12:00

Abitazione di tipo economico

Via San Gregorio, snc, Cantalice (RI)

€ 14.100,00

Offerta minima € 10.575,00


Codice A4349617

Lotto 2

Data udienza 13/07/2026 ore 10:20

Termine presentazione offerte 10/07/2026 ore 12:00

Ti interessa questa vendita?

Documentazione

Visualizza su mappa

Mappa geografica del bene

Punti di interesse

Fonte dati

Nel raggio di {{range}}Km

Loading...
  • {{ getIcon(poi.type) }} {{ poi.localized }}: {{poi.count}}
  • {{ getIcon(poi.type) }} {{ poi.localized }}: {{poi.count}}
Dati non disponibili

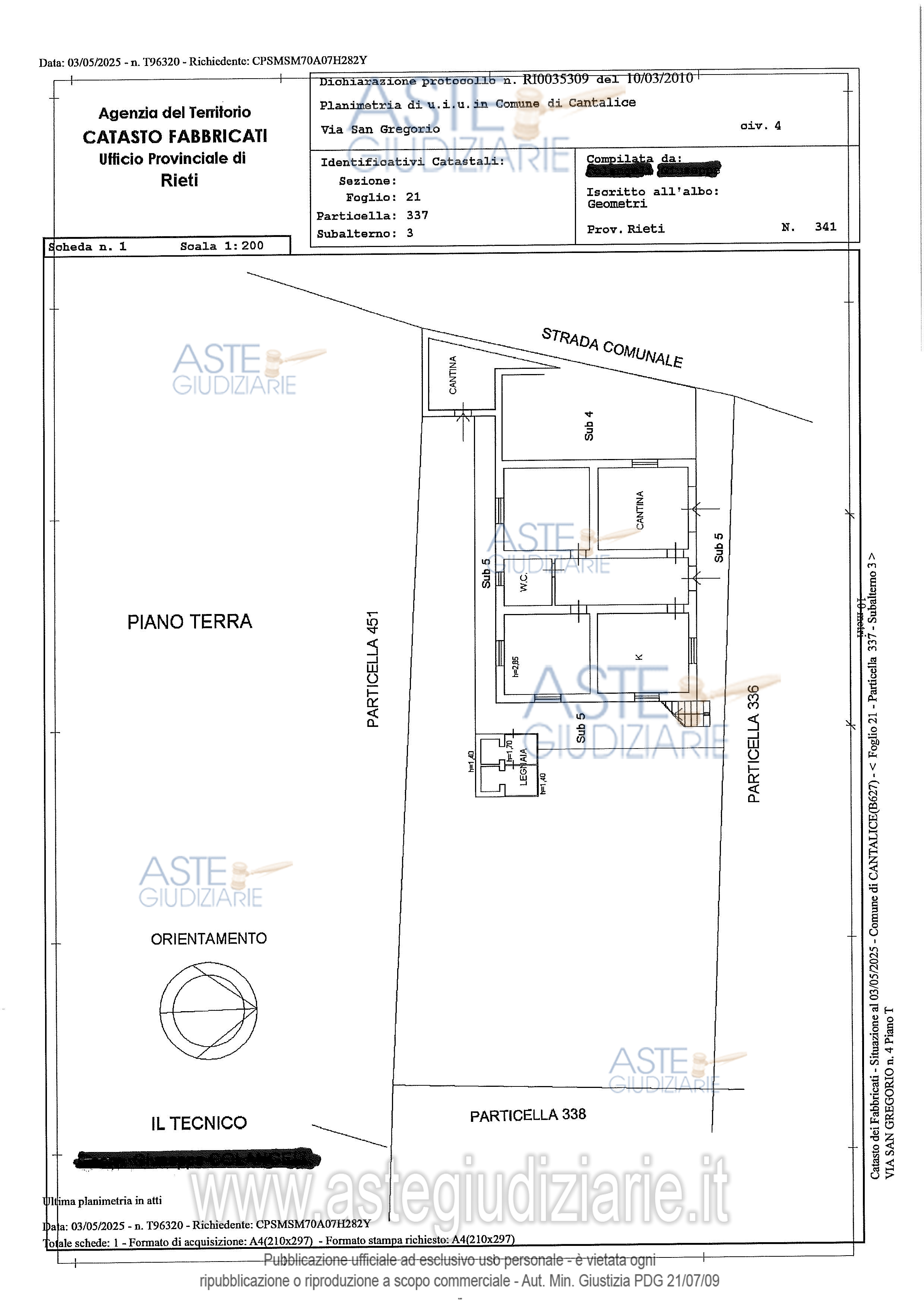
Immobile sito nel Comune di Cantalice (RI) in Via S. Gregorio snc, Diritto di usufrutto per la quota di 1/1, L'appartamento è composto da un disimpegno, una cucina con balcone, un soggiorno/pranzo anch'esso con balcone. La zona notte, accessibile da un disimpegno , include un ripostiglio , un bagno , uno studio e due camere da letto entrambe con balcone.

Indirizzo
Via San Gregorio, snc, Cantalice (RI)


Codice asta
4349617


Lotto
2


Numero beni
1


Genere
Immobili


Categoria
Immobile residenziale


Valore di stima
-


Abitazione di tipo economico

Immobile sito nel Comune di Cantalice (RI) in Via S. Gregorio snc, Diritto di usufrutto per la quota di 1/1, L'appartamento è composto da un disimpegno, una cucina con balcone, un soggiorno/pranzo anch'esso con balcone. La zona notte, accessibile da un disimpegno , include un ripostiglio , un bagno , uno studio e due camere da letto entrambe con balcone.

Indirizzo
Via San Gregorio, snc, Cantalice (RI)


Piano
T-1


Disponibilità
-


Vani
6,50


Bagni
-


Metri quadri
125,00


Certificazione energetica
-


Dati catastali

Foglio:21, Particella:337, Subalterno:4


Data udienza
13/07/2026 ore 10:20


Tipo di vendita
Senza incanto


Modalità di vendita
Asincrona telematica


Luogo
N.A. -


Luogo presentazione offerte
-


Termine presentazione offerte
10/07/2026 ore 12:00


Prezzo base
€ 14.100,00


Offerta minima
€ 10.575,00


Rialzo minimo in caso di gara
€ 500,00


Deposito cauzionale
10% del prezzo offerto


Deposito in conto spese
-


Tribunale
Rieti

Tipo di procedura
Espropriazione immobiliare (cartabia)

Ruolo
88/2024

Giudice
Guglielmi Marilina

Recapiti
-

Email
-

Delegato alla vendita
Rosati Massimiliano
(Procede alle operazioni di vendita)
(Gestisce la visita del bene)

Recapiti
Tel. 0746498729

Scheda COD. 4349617 - Pubblicata dal 14/04/2026

La presente scheda di vendita riporta integralmente informazioni e documenti pervenuti ufficialmente dal Ministero e dal professionista incaricato.


Pubblicazione autorizzata dall’Autorità competente, è vietata ogni ripubblicazione o riproduzione anche parziale


Ti interessa questa vendita?

Documentazione

Visualizza su mappa

Mappa geografica del bene

Punti di interesse

Fonte dati

Nel raggio di {{range}}Km

Loading...
  • {{ getIcon(poi.type) }} {{ poi.localized }}: {{poi.count}}
  • {{ getIcon(poi.type) }} {{ poi.localized }}: {{poi.count}}
Dati non disponibili