Astegiudiziarie.it è parte di Rete Aste Network

Accedi o registrati

Non sei ancora registrato?

Oppure

Accedi

Abitazione di tipo economico

Via San Gregorio, snc, Cantalice (RI)

€ 53.050,00

Offerta minima € 39.787,50


Codice A4349616

Lotto 1

Data udienza 13/07/2026 ore 10:20

Termine presentazione offerte 10/07/2026 ore 12:00

Abitazione di tipo economico

Via San Gregorio, snc, Cantalice (RI)

€ 53.050,00

Offerta minima € 39.787,50


Codice A4349616

Lotto 1

Data udienza 13/07/2026 ore 10:20

Termine presentazione offerte 10/07/2026 ore 12:00

Ti interessa questa vendita?

Documentazione

Visualizza su mappa

Mappa geografica del bene

Punti di interesse

Fonte dati

Nel raggio di {{range}}Km

Loading...
  • {{ getIcon(poi.type) }} {{ poi.localized }}: {{poi.count}}
  • {{ getIcon(poi.type) }} {{ poi.localized }}: {{poi.count}}
Dati non disponibili

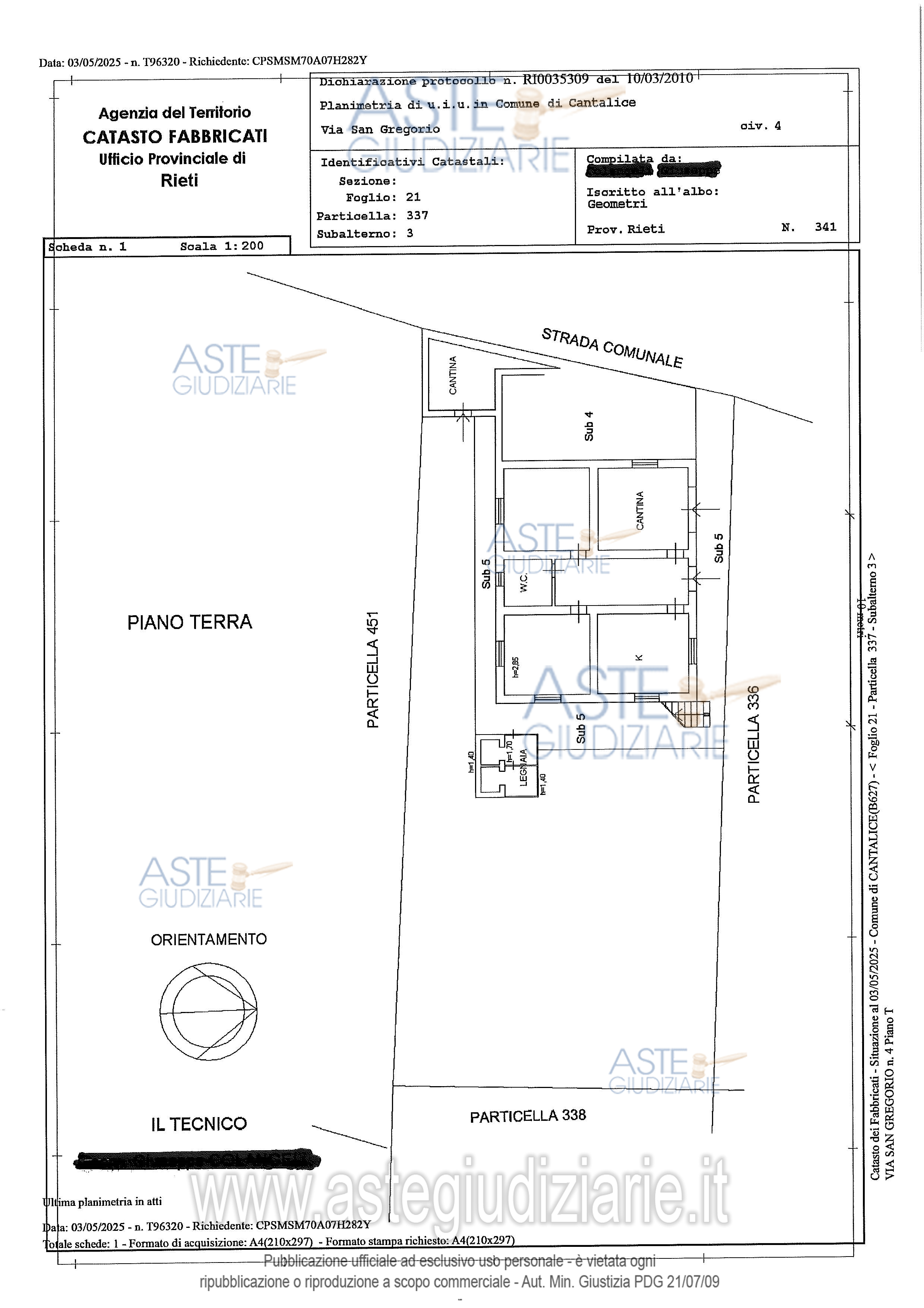
Immobile sito nel Comune di Cantalice (RI) in Via S. Gregorio snc, Diritti pari a 1/1 della piena proprietà, sita al piano terra di una palazzina di due unità complessive, si accede direttamente al piano terra tramite un disimpegno, dal quale si distribuiscono tutti gli ambienti principali: una cucina/pranzo una cantina comunicante , due camere da letto rispettivamente e un Wc.

Indirizzo
Via San Gregorio, snc, Cantalice (RI)


Codice asta
4349616


Lotto
1


Numero beni
1


Genere
Immobili


Categoria
Immobile residenziale


Valore di stima
-


Abitazione di tipo economico

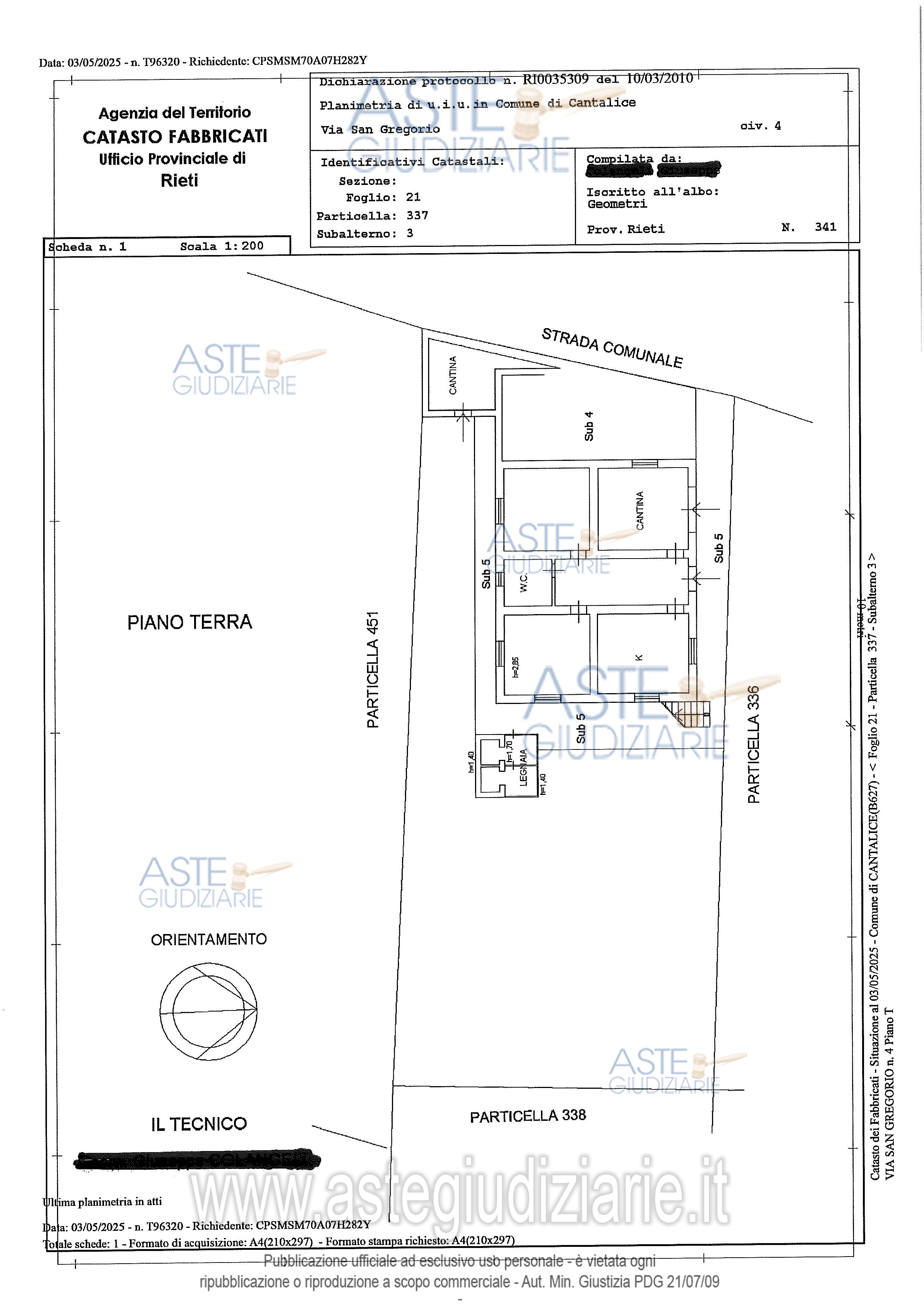
Immobile sito nel Comune di Cantalice (RI) in Via S. Gregorio snc, Diritti pari a 1/1 della piena proprietà, sita al piano terra di una palazzina di due unità complessive, si accede direttamente al piano terra tramite un disimpegno, dal quale si distribuiscono tutti gli ambienti principali: una cucina/pranzo una cantina comunicante , due camere da letto rispettivamente e un Wc.

Indirizzo
Via San Gregorio, snc, Cantalice (RI)


Piano
T


Disponibilità
-


Vani
4,50


Bagni
-


Metri quadri
117,00


Certificazione energetica
-


Dati catastali

Foglio:21, Particella:337, Subalterno:3


Data udienza
13/07/2026 ore 10:20


Tipo di vendita
Senza incanto


Modalità di vendita
Asincrona telematica


Luogo
N.A. -


Luogo presentazione offerte
-


Termine presentazione offerte
10/07/2026 ore 12:00


Prezzo base
€ 53.050,00


Offerta minima
€ 39.787,50


Rialzo minimo in caso di gara
€ 1.300,00


Deposito cauzionale
10% del prezzo offerto


Deposito in conto spese
-


Tribunale
Rieti

Tipo di procedura
Espropriazione immobiliare (cartabia)

Ruolo
88/2024

Giudice
Guglielmi Marilina

Recapiti
-

Email
-

Delegato alla vendita
Rosati Massimiliano
(Procede alle operazioni di vendita)
(Gestisce la visita del bene)

Recapiti
Tel. 0746498729

Scheda COD. 4349616 - Pubblicata dal 14/04/2026

La presente scheda di vendita riporta integralmente informazioni e documenti pervenuti ufficialmente dal Ministero e dal professionista incaricato.


Pubblicazione autorizzata dall’Autorità competente, è vietata ogni ripubblicazione o riproduzione anche parziale


Ti interessa questa vendita?

Documentazione

Visualizza su mappa

Mappa geografica del bene

Punti di interesse

Fonte dati

Nel raggio di {{range}}Km

Loading...
  • {{ getIcon(poi.type) }} {{ poi.localized }}: {{poi.count}}
  • {{ getIcon(poi.type) }} {{ poi.localized }}: {{poi.count}}
Dati non disponibili