Astegiudiziarie.it è parte di Rete Aste Network

Accedi o registrati

Non sei ancora registrato?

Oppure

Accedi

Abitazione di tipo economico

Via Torino, 13862 Brusnengo BI, Italia, Brusnengo (BI)

€ 60.862,50

Offerta minima € 45.646,88


Codice A4328353

Lotto Lotto unico

Data udienza 24/02/2026 ore 16:30

Termine presentazione offerte 23/02/2026 ore 13:00

Abitazione di tipo economico

Via Torino, 13862 Brusnengo BI, Italia, Brusnengo (BI)

€ 60.862,50

Offerta minima € 45.646,88


Codice A4328353

Lotto Lotto unico

Data udienza 24/02/2026 ore 16:30

Termine presentazione offerte 23/02/2026 ore 13:00

Ti interessa questa vendita?

Documentazione

Visualizza su mappa

Mappa geografica del bene

Punti di interesse

Fonte dati

Nel raggio di {{range}}Km

Loading...
  • {{ getIcon(poi.type) }} {{ poi.localized }}: {{poi.count}}
  • {{ getIcon(poi.type) }} {{ poi.localized }}: {{poi.count}}
Dati non disponibili

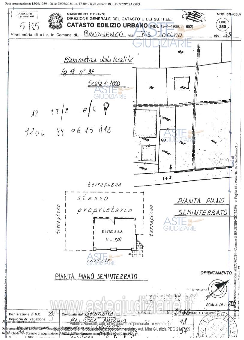
Fabbricato di civile abitazione elevato ad un piano fuori terra oltre al piano seminterrato ed al piano sottotetto con pertinente terreno

Indirizzo
Via Torino, 13862 Brusnengo BI, Italia, Brusnengo (BI)


Codice asta
4328353


Lotto
Lotto unico


Numero beni
1


Genere
Immobili


Categoria
Immobile residenziale


Valore di stima
-


Abitazione di tipo economico

Fabbricato di civile abitazione elevato ad un piano fuori terra oltre al piano seminterrato ed al piano sottotetto, entrostante all’area distinta in mappa al Catasto dei Terreni al foglio 18 con la particella n. 97 (ente urbano di are 8,10), con pertinente terreno distinto in mappa al foglio con la particella 96, il tutto formante un corpo unico alle coerenze delle particelle n. 81, 89, 98, 165, 162 e 95 dello stesso foglio di mappa, così composto: - al piano seminterrato: autorimessa/deposito, cantina, lavanderia, sottoscala e vano scala;- al piano rialzato, con accesso da una scala esterna: ingresso-disimpegno, cucina, soggiorno, due camere, altro disimpegno, bagno e balcone;- al piano sottotetto: soffitta a nudo tetto.Oltre a pertinenziale terreno a prato-frutteto di metri quadri 810.Si segnala che a nord del fabbricato è stata realizzata una tettoia priva di autorizzazione edilizia che dovrà essere demolita.

Indirizzo
Via Torino, 35, 13862 Brusnengo BI, Italia, Brusnengo (BI)


Piano
t


Disponibilità
OCCUP


Vani
8,00


Bagni
-


Metri quadri
187,00


Certificazione energetica
-


Dati catastali

Foglio:18, Particella:97, Subalterno:1
Foglio:18, Particella:97, Subalterno:2


Data udienza
24/02/2026 ore 16:30


Tipo di vendita
Senza incanto


Modalità di vendita
Asincrona telematica


Luogo
N.A. -


Luogo presentazione offerte
-


Termine presentazione offerte
23/02/2026 ore 13:00


Prezzo base
€ 60.862,50


Offerta minima
€ 45.646,88


Rialzo minimo in caso di gara
€ 1.300,00


Deposito cauzionale
10% del prezzo offerto


Deposito in conto spese
-


Tribunale
Biella

Tipo di procedura
Espropriazione immobiliare (cartabia)

Ruolo
43/2024

Giudice
Migliore Emanuele

Recapiti
-

Email
-

Delegato alla vendita
Mazzanti Barbara
(Procede alle operazioni di vendita)

Recapiti
Tel. 0150991500

Email
info@centroasteimmobiliari.it

Custode giudiziario
Mazzanti Barbara
(Gestisce la visita del bene)

Recapiti
Tel. 0150991500

Scheda COD. 4328353 - Pubblicata dal 10/12/2025

La presente scheda di vendita riporta integralmente informazioni e documenti pervenuti ufficialmente dal Ministero e dal professionista incaricato.


Pubblicazione autorizzata dall’Autorità competente, è vietata ogni ripubblicazione o riproduzione anche parziale


Ti interessa questa vendita?

Documentazione

Visualizza su mappa

Mappa geografica del bene

Storico delle vendite

Data venditaPrezzo base
08/07/2025€ 108.200,00
11/11/2025€ 81.150,00
24/02/2026€ 60.862,50

Punti di interesse

Fonte dati

Nel raggio di {{range}}Km

Loading...
  • {{ getIcon(poi.type) }} {{ poi.localized }}: {{poi.count}}
  • {{ getIcon(poi.type) }} {{ poi.localized }}: {{poi.count}}
Dati non disponibili