Astegiudiziarie.it è parte di Rete Aste Network

Accedi o registrati

Non sei ancora registrato?

Oppure

Accedi

Abitazione di tipo economico, stalle, scuderie, rimesse, autorimesse

Via Grazia Deledda, 46041 Asola MN, Italia, Asola (MN)

€ 54.825,00

Offerta minima € 41.119,00


Codice A4345937

Lotto Lotto unico

Data udienza 21/05/2026 ore 14:30

Termine presentazione offerte 19/05/2026 ore 12:00

Abitazione di tipo economico, stalle, scuderie, rimesse, autorimesse

Via Grazia Deledda, 46041 Asola MN, Italia, Asola (MN)

€ 54.825,00

Offerta minima € 41.119,00


Codice A4345937

Lotto Lotto unico

Data udienza 21/05/2026 ore 14:30

Termine presentazione offerte 19/05/2026 ore 12:00

Ti interessa questa vendita?

Documentazione

Visualizza su mappa

Mappa geografica del bene

Punti di interesse

Fonte dati

Nel raggio di {{range}}Km

Loading...
  • {{ getIcon(poi.type) }} {{ poi.localized }}: {{poi.count}}
  • {{ getIcon(poi.type) }} {{ poi.localized }}: {{poi.count}}
Dati non disponibili

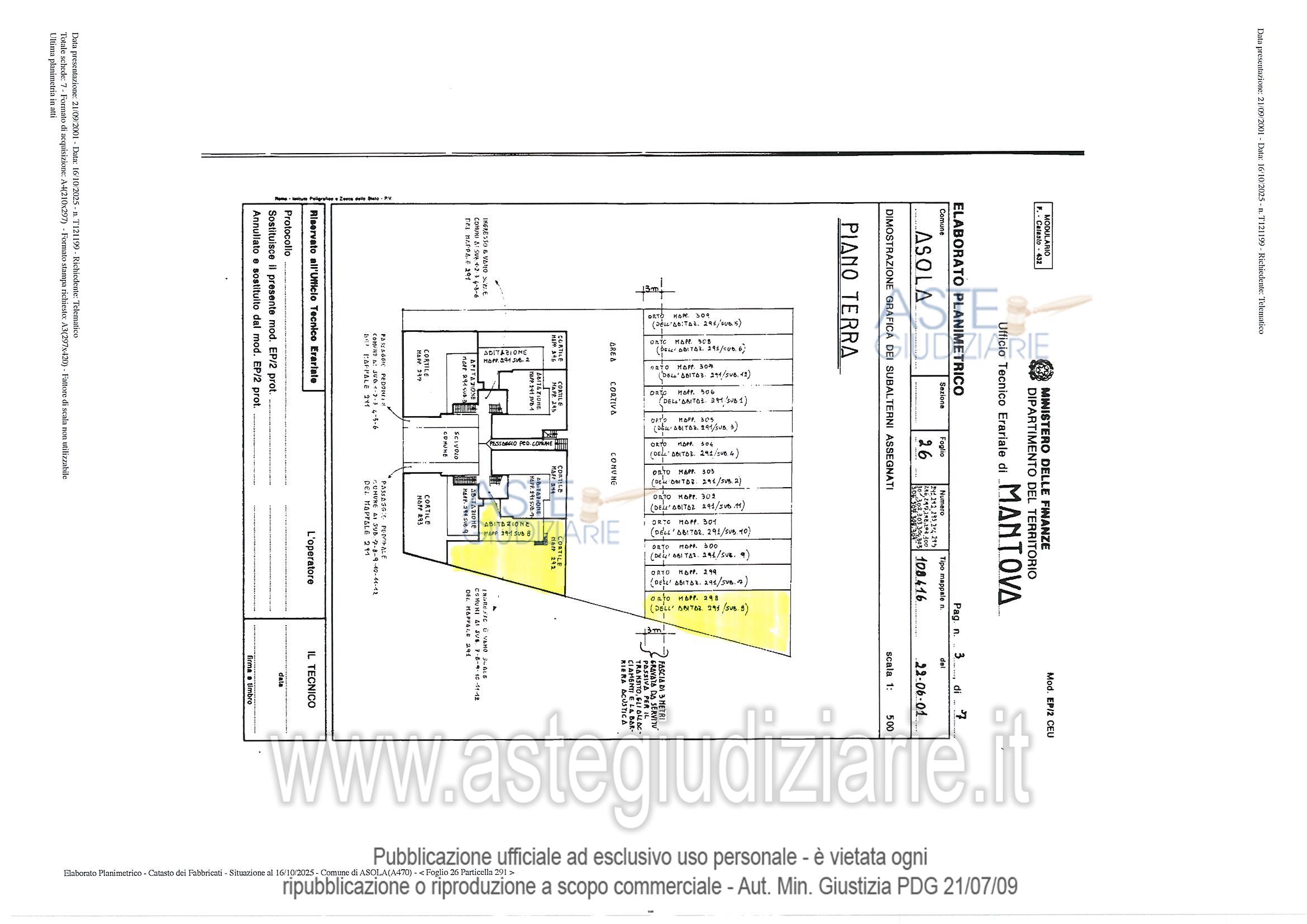
APPARTAMENTO A PIANO TERRA CON AREA CORTIVA PERTINENZIALE E GARAGE DOPPIO

Indirizzo
Via Grazia Deledda, 46041 Asola MN, Italia, Asola (MN)


Codice asta
4345937


Lotto
Lotto unico


Numero beni
2


Genere
Immobili


Categoria
Immobile residenziale


Valore di stima
-


Abitazione di tipo economico

APPARTAMENTO AL PIANO TERRA DI 56 MQ CON AREA CORTIVA PERTINENZIALE

Indirizzo
Via Grazia Deledda, 46041 Asola MN, Italia, Asola (MN)


Piano
TERRA


Disponibilità
LIBERO


Vani
3,50


Bagni
-


Metri quadri
56,00


Certificazione energetica
-


Dati catastali

Foglio:26, Sezione:U, Particella:291, Sub particella:8, Subalterno:A3 CL. 5, Graffato:292 E 298


Stalle, scuderie, rimesse, autorimesse

AUTORIMESSA PER N. 2 POSTI AUTO ANNESSA ALL'APPARTAMENTO

Indirizzo
Via Grazia Deledda, 46041 Asola MN, Italia, Asola (MN)


Piano
-


Disponibilità
LIBERO


Vani
-


Bagni
-


Metri quadri
34,00


Certificazione energetica
-


Dati catastali

Foglio:26, Sezione:U, Particella:291, Sub particella:19, Subalterno:C6 CL. 1


Data udienza
21/05/2026 ore 14:30


Tipo di vendita
Senza incanto


Modalità di vendita
Sincrona mista


Luogo
VIA 1^ MAGGIO N. 3 - San Giorgio Bigarello 46051


Luogo presentazione offerte
-


Termine presentazione offerte
19/05/2026 ore 12:00


Prezzo base
€ 54.825,00


Offerta minima
€ 41.119,00


Rialzo minimo in caso di gara
€ 3.000,00


Deposito cauzionale
10% del prezzo offerto


Deposito in conto spese
-


Tribunale
Mantova

Tipo di procedura
Espropriazione immobiliare (cartabia)

Ruolo
81/2025

Delegato alla vendita
Piccagli Dino
(Procede alle operazioni di vendita)

Recapiti
Cell. 0376263876

Email
DINO.PICCAGLI@GESTIMELABORAZIO...

Custode giudiziario
procissi  Franco
(Gestisce la visita del bene)

Recapiti
Tel. 0376220694

Scheda COD. 4345937 - Pubblicata dal 05/03/2026

La presente scheda di vendita riporta integralmente informazioni e documenti pervenuti ufficialmente dal Ministero e dal professionista incaricato.


Pubblicazione autorizzata dall’Autorità competente, è vietata ogni ripubblicazione o riproduzione anche parziale


Ti interessa questa vendita?

Documentazione

Visualizza su mappa

Mappa geografica del bene

Punti di interesse

Fonte dati

Nel raggio di {{range}}Km

Loading...
  • {{ getIcon(poi.type) }} {{ poi.localized }}: {{poi.count}}
  • {{ getIcon(poi.type) }} {{ poi.localized }}: {{poi.count}}
Dati non disponibili