Astegiudiziarie.it è parte di Rete Aste Network

Accedi o registrati

Non sei ancora registrato?

Oppure

Accedi

Abitazione di tipo civile

Via Attilio Bernardi n. 49, Arcole (VR)

€ 70.800,00

Offerta minima € 53.100,00


Codice A4349573

Lotto Lotto unico

Data udienza 11/06/2026 ore 14:00

Termine presentazione offerte 10/06/2026 ore 13:00

Abitazione di tipo civile

Via Attilio Bernardi n. 49, Arcole (VR)

€ 70.800,00

Offerta minima € 53.100,00


Codice A4349573

Lotto Lotto unico

Data udienza 11/06/2026 ore 14:00

Termine presentazione offerte 10/06/2026 ore 13:00

Ti interessa questa vendita?

Documentazione

Visualizza su mappa

Mappa geografica del bene

Punti di interesse

Fonte dati

Nel raggio di {{range}}Km

Loading...
  • {{ getIcon(poi.type) }} {{ poi.localized }}: {{poi.count}}
  • {{ getIcon(poi.type) }} {{ poi.localized }}: {{poi.count}}
Dati non disponibili

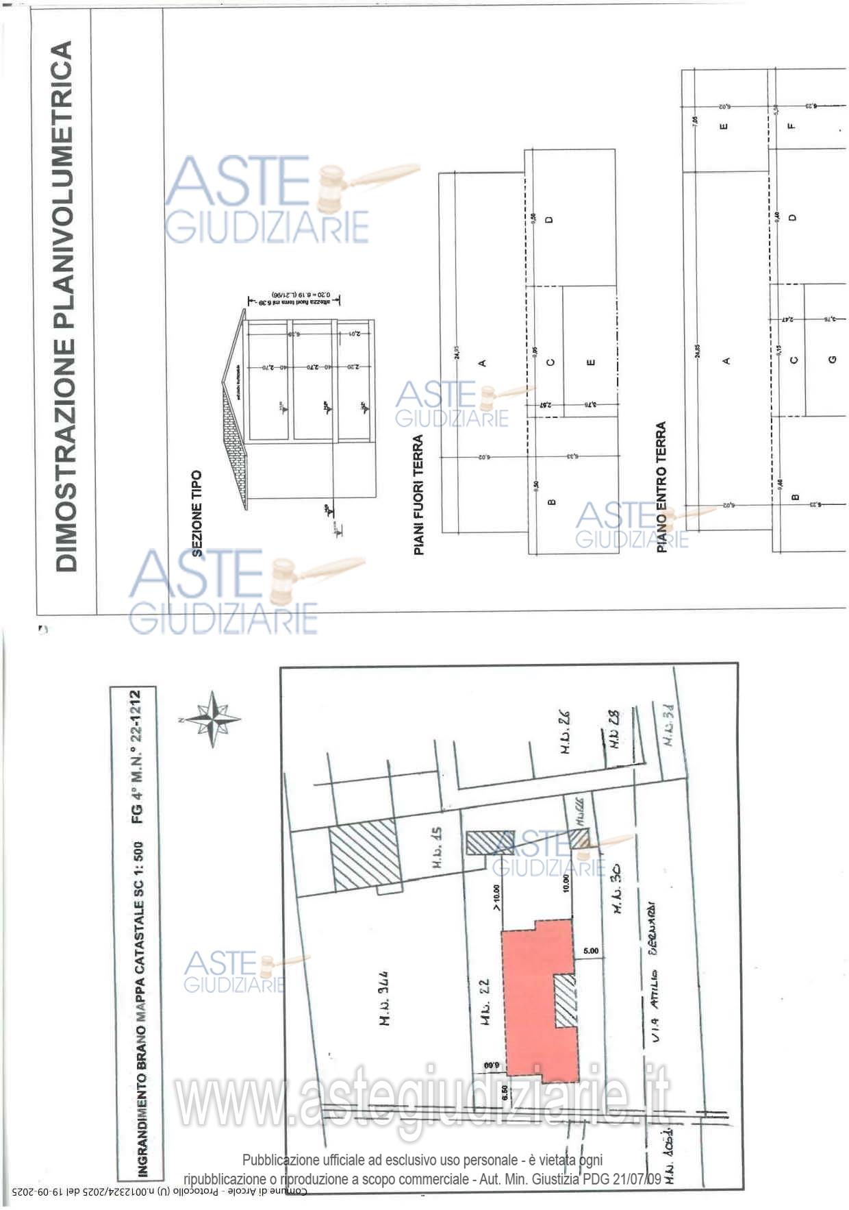
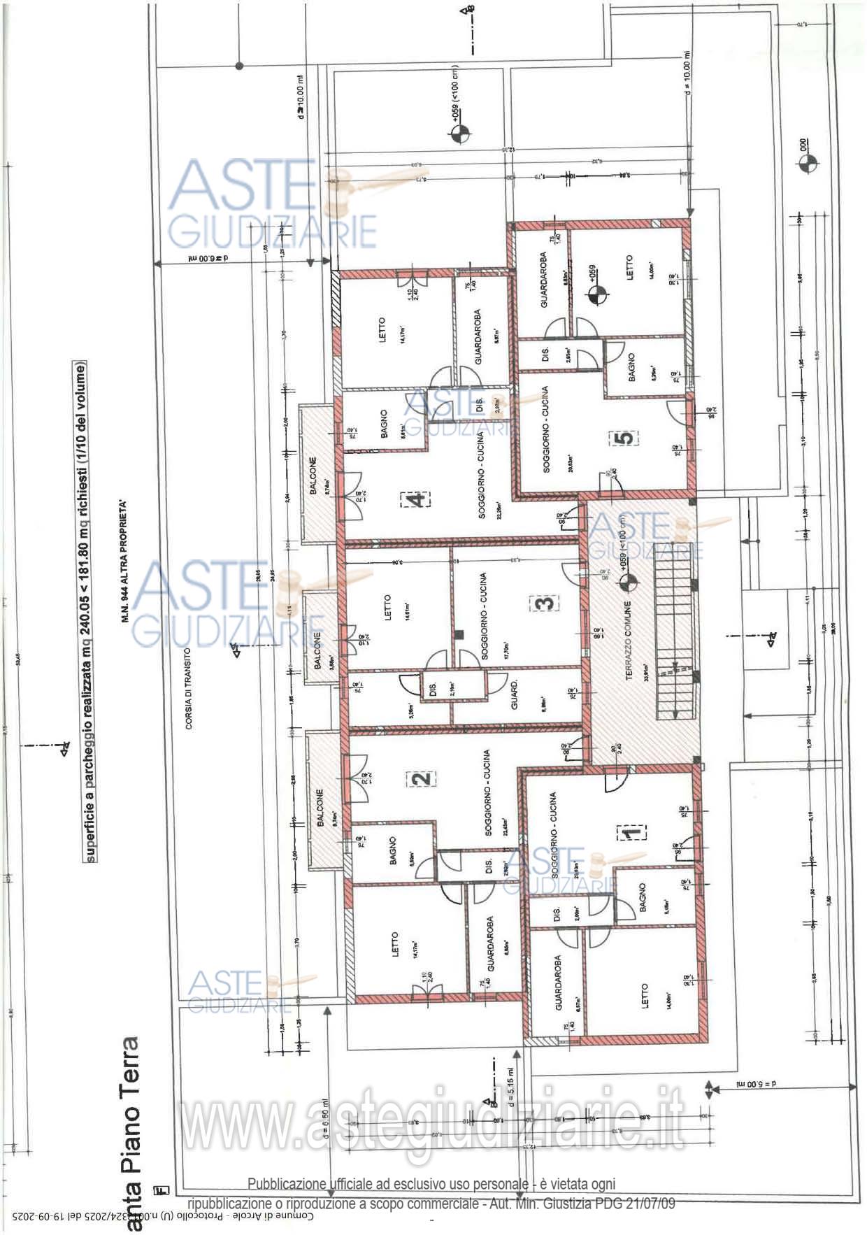
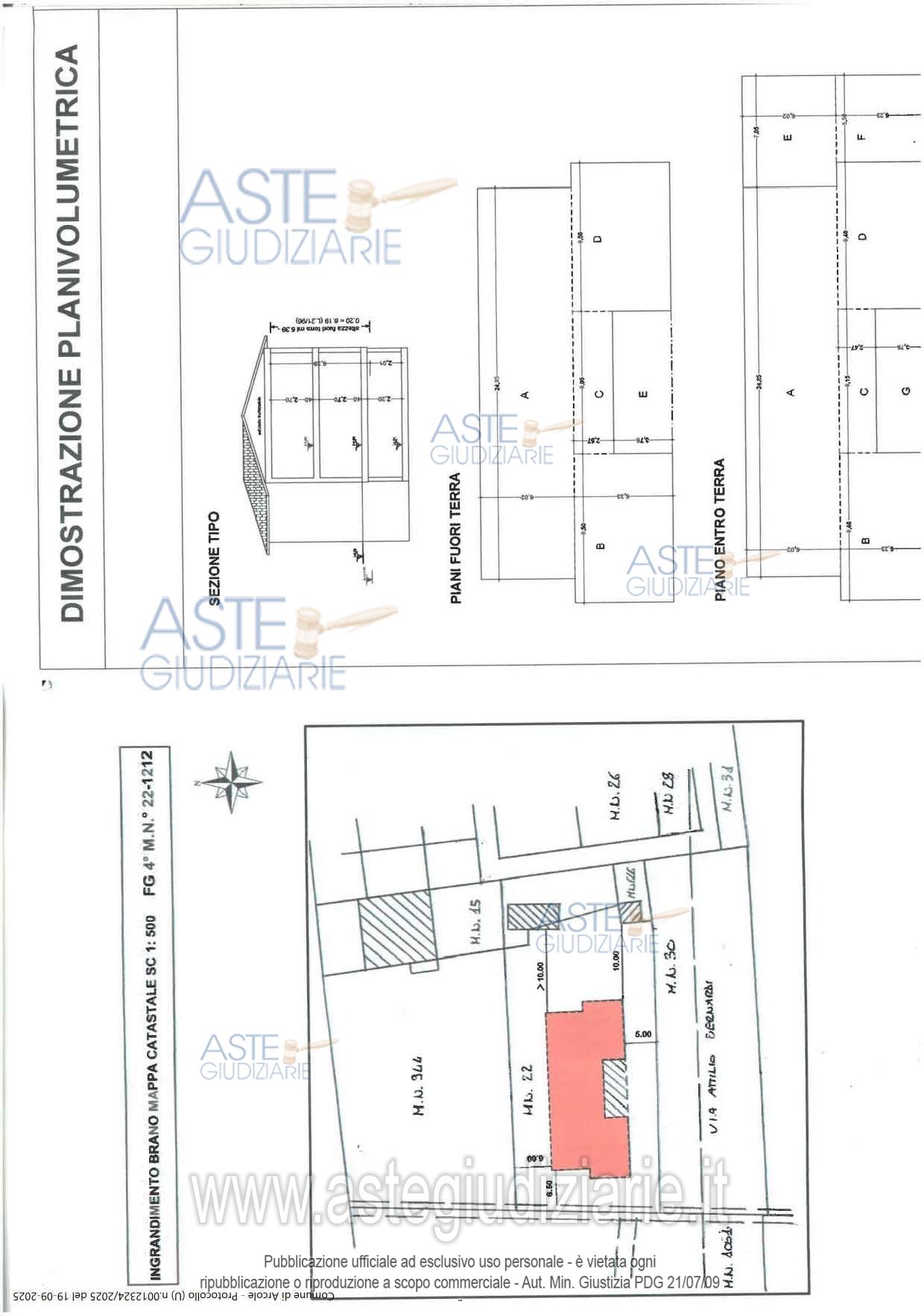
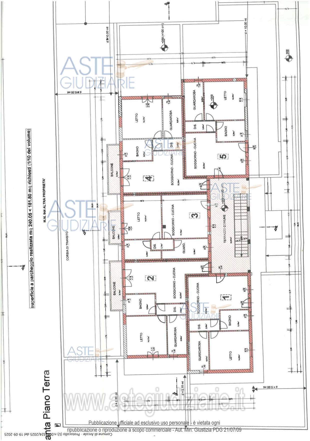
LOTTO UNICO - Arcole (VR) Via Attilio Bernardi n. 49, piena proprietà di appartamento con corte esclusiva ed autorimessa. Sono compresi i proporzionali diritti di comproprietà su enti e spazi comuni(art.1117c.c.) compresa l’area di sedime e pertinenza del fabbricato, in particolare sub 21 BCNC sub.2-3-4-5-6-7-8-9-10-11-12-13-14-15-16-17-18-19-20-28; sub 24 BCNC sub.2-3-4-5-6-7-8-9-10-28; sub 26 BCNC sub.11-12-13-14-15-16-17-18-19-20; sub 27 BCNC sub.11-12-13-14-15-16-17-18-19-20-22-23

Indirizzo
Via Attilio Bernardi n. 49, Arcole (VR)


Codice asta
4349573


Lotto
Lotto unico


Numero beni
1


Genere
Immobili


Categoria
Immobile residenziale


Valore di stima
-


Abitazione di tipo civile

LOTTO UNICO - In Comune di Arcole (VR), Via Attilio Bernardi n. 49, in fabbricato condominiale di due livelli fuori terra costituito da 10 unità, piena proprietà di appartamento con corte esclusiva ed autorimessa. Sono compresi nella vendita i proporzionali diritti di comproprietà su enti comuni e spazi di uso comune ai sensi dell’art. 1117 c.c., ivi compresa l’area di sedime e pertinenza del fabbricato in particolare i beni censiti al Catasto Fabbricati, Fg. 4, m.n. 1393 sub 21 - p. S1 - BCNC (corridoio, rampa scala entro terra e sottoscala) ai subb. 2-3-4-5-6-7-8-9-10-11-12-13-14-15-16-17-18-19-20-28 di 37 mq; sub 24 - BCNC (accesso carraio, pedonale, aiuole e corti) ai subb. 2-3-4-5-6-7-8-9-10-28 di 102 mq; sub 26 BCNC (corte) ai subb. 11-12-13-14-15-16-17-18-19-20 di 27 mq ; sub 27 BCNC (corsia di transito, scivolo, ingresso carraio e pedonale) ai subb. 11-12-13-14-15-16-17-18-19-20-22-23 di 322 mq

Indirizzo
Via Attilio Bernardi n. 49, Arcole (VR)


Piano
-


Disponibilità
-


Vani
-


Bagni
-


Metri quadri
-


Certificazione energetica
-


Dati catastali

Foglio:4, Particella:1393, Subalterno:5, Subalterno 2:cat. A/2
Foglio:5, Particella:1393, Subalterno:20, Subalterno 2:cat. C/6
Foglio:5, Particella:1393, Subalterno:22, Subalterno 2:cat. F/1


Data udienza
11/06/2026 ore 14:00


Tipo di vendita
Senza incanto


Modalità di vendita
Sincrona mista


Luogo
presso la sala aste della Camera di Commercio di Verona in Corso Porta Nuova n. 96, con ingresso da Circonvallazione Alfredo Oriani n. 2/A - Verona 37122


Luogo presentazione offerte
-


Termine presentazione offerte
10/06/2026 ore 13:00


Prezzo base
€ 70.800,00


Offerta minima
€ 53.100,00


Rialzo minimo in caso di gara
€ 1.000,00


Deposito cauzionale
10% del prezzo offerto


Deposito in conto spese
-


Tribunale
Verona

Tipo di procedura
Espropriazione immobiliare (cartabia)

Ruolo
140/2025

Giudice
Fontana Francesco

Recapiti
-

Email
-

Delegato alla vendita
Zago  Floriana
(Procede alle operazioni di vendita)

Recapiti
Tel. 0458006661

Email
notes@notariato.it

Custode giudiziario
Gervasini  Matteo
(Gestisce la visita del bene)

Recapiti
Tel. 045995348

Scheda COD. 4349573 - Pubblicata dal 14/04/2026

La presente scheda di vendita riporta integralmente informazioni e documenti pervenuti ufficialmente dal Ministero e dal professionista incaricato.


Pubblicazione autorizzata dall’Autorità competente, è vietata ogni ripubblicazione o riproduzione anche parziale


Ti interessa questa vendita?

Documentazione

Visualizza su mappa

Mappa geografica del bene

Punti di interesse

Fonte dati

Nel raggio di {{range}}Km

Loading...
  • {{ getIcon(poi.type) }} {{ poi.localized }}: {{poi.count}}
  • {{ getIcon(poi.type) }} {{ poi.localized }}: {{poi.count}}
Dati non disponibili