Astegiudiziarie.it è parte di Rete Aste Network

Accedi o registrati

Non sei ancora registrato?

Oppure

Accedi

Abitazione di tipo popolare

Via Canareggio n. 16/A, Anguillara Veneta (PD)

€ 25.000,00

Offerta minima € 18.750,00


Codice A4330933

Lotto 1

Data udienza 18/06/2026 ore 14:15

Termine presentazione offerte 17/06/2026 ore 12:00

Abitazione di tipo popolare

Via Canareggio n. 16/A, Anguillara Veneta (PD)

€ 25.000,00

Offerta minima € 18.750,00


Codice A4330933

Lotto 1

Data udienza 18/06/2026 ore 14:15

Termine presentazione offerte 17/06/2026 ore 12:00

Ti interessa questa vendita?

Documentazione

Visualizza su mappa

Mappa geografica del bene

Punti di interesse

Fonte dati

Nel raggio di {{range}}Km

Loading...
  • {{ getIcon(poi.type) }} {{ poi.localized }}: {{poi.count}}
  • {{ getIcon(poi.type) }} {{ poi.localized }}: {{poi.count}}
Dati non disponibili

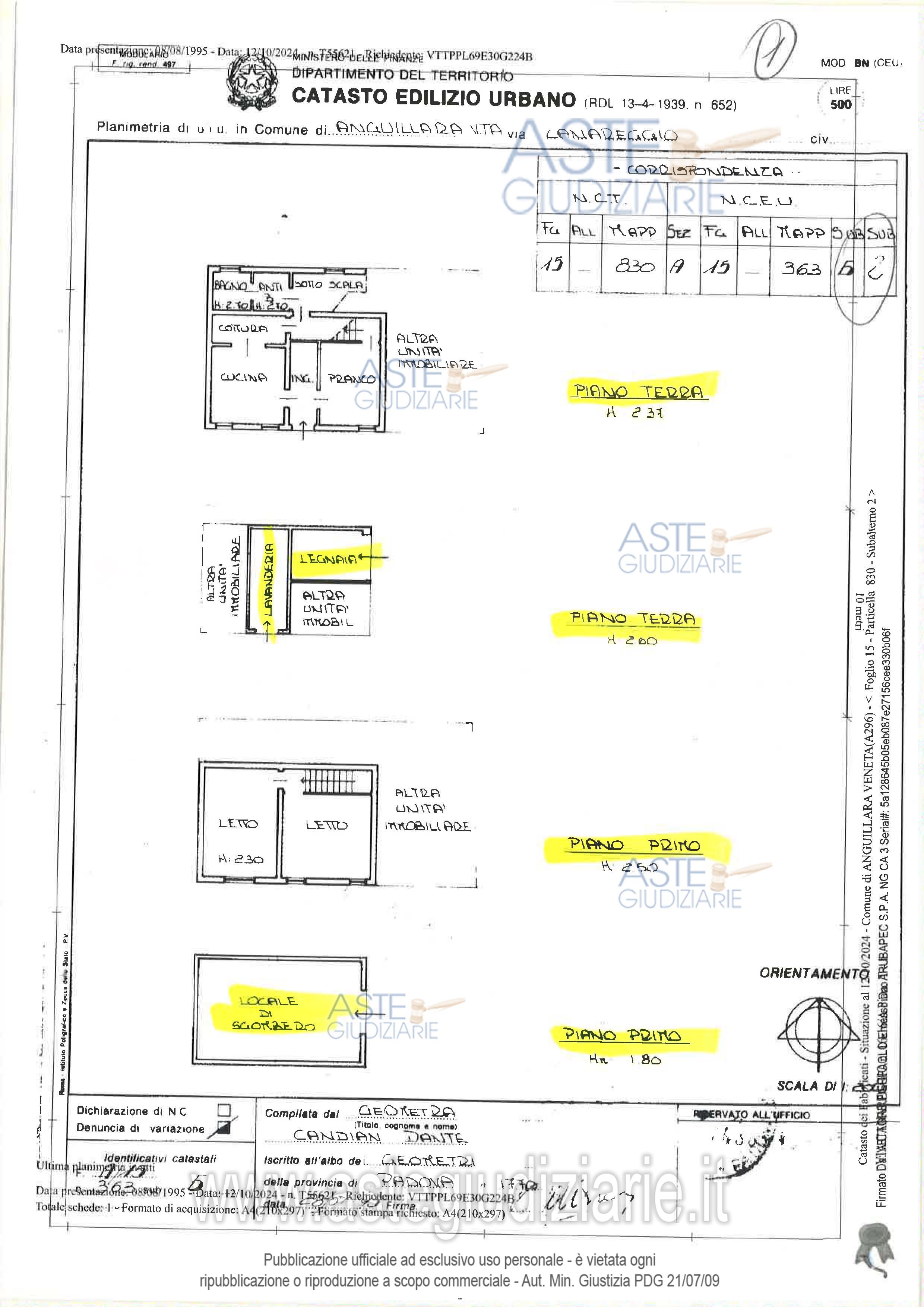
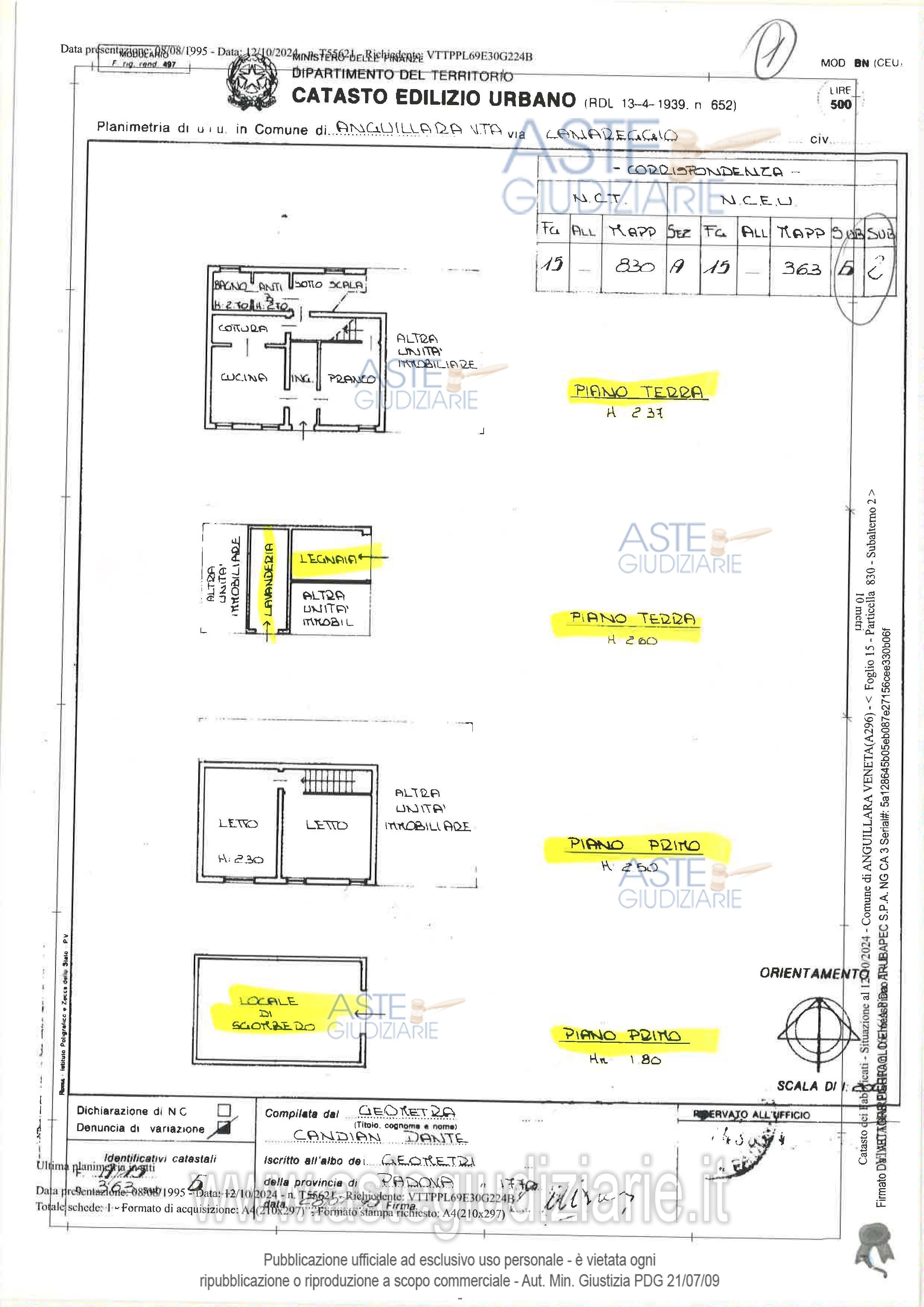
Lotto 1 - piena proprietà di unità immobiliare facente parte del fabbricato bifamiliare sito in Comune di Anguillara Veneta (PD), via Canareggio n. 16/A e, precisamente, l'appartamento disposto ai piani terra e primo con locale, in distacco, ai piani terra e primo ad uso sgombero-lavanderia, per una superficie commerciale complessiva di mq. 127. Libero.

Indirizzo
Via Canareggio n. 16/A, Anguillara Veneta (PD)


Codice asta
4330933


Lotto
1


Numero beni
1


Genere
Immobili


Categoria
Immobile residenziale


Valore di stima
-


Abitazione di tipo popolare

Lotto 1 - piena proprietà di unità immobiliare facente parte del fabbricato bifamiliare sito in Comune di Anguillara Veneta (PD), via Canareggio n. 16/A e, precisamente, l'appartamento disposto ai piani terra e primo con locale, in distacco, ai piani terra e primo ad uso sgombero-lavanderia, per una superficie commerciale complessiva di mq. 127. Libero.

Indirizzo
Via Canareggio n. 16/A, Anguillara Veneta (PD)


Piano
-


Disponibilità
LIBERO


Vani
-


Bagni
-


Metri quadri
-


Certificazione energetica
-


Data udienza
18/06/2026 ore 14:15


Tipo di vendita
Senza incanto


Modalità di vendita
Sincrona telematica


Luogo
N.A. -


Luogo presentazione offerte
-


Termine presentazione offerte
17/06/2026 ore 12:00


Prezzo base
€ 25.000,00


Offerta minima
€ 18.750,00


Rialzo minimo in caso di gara
€ 1.000,00


Deposito cauzionale
-


Deposito in conto spese
-


Tribunale
Padova

Tipo di procedura
Espropriazione immobiliare (cartabia)

Ruolo
340/2023

Giudice
Rossi 

Recapiti
-

Email
-

Delegato alla vendita
Marzano Daniela
(Procede alle operazioni di vendita)
(Gestisce la visita del bene)

Recapiti
Cell. 3483191794

Scheda COD. 4330933 - Pubblicata dal 09/04/2026

La presente scheda di vendita riporta integralmente informazioni e documenti pervenuti ufficialmente dal Ministero e dal professionista incaricato.


Pubblicazione autorizzata dall’Autorità competente, è vietata ogni ripubblicazione o riproduzione anche parziale


Ti interessa questa vendita?

Documentazione

Visualizza su mappa

Mappa geografica del bene

Storico delle vendite

Data venditaPrezzo base
18/09/2025€ 43.591,00
27/01/2026€ 33.000,00
18/06/2026€ 25.000,00

Punti di interesse

Fonte dati

Nel raggio di {{range}}Km

Loading...
  • {{ getIcon(poi.type) }} {{ poi.localized }}: {{poi.count}}
  • {{ getIcon(poi.type) }} {{ poi.localized }}: {{poi.count}}
Dati non disponibili