Astegiudiziarie.it è parte di Rete Aste Network

Accedi o registrati

Non sei ancora registrato?

Oppure

Accedi

Albergo e pensione

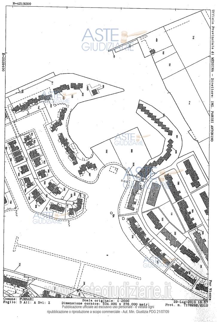
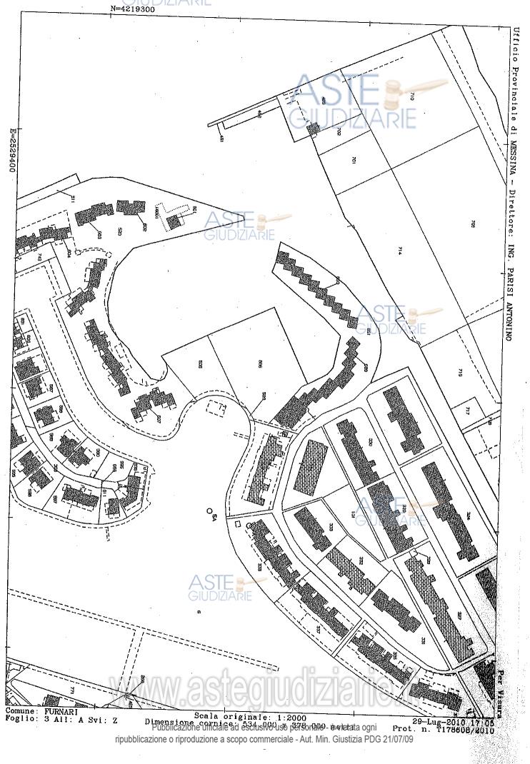
Via Prestipaolo, 98054 Furnari ME, Italia, Furnari (ME)

€ 8.065.487,54

Offerta minima € 6.049.115,65


Codice A4332930

Lotto Lotto unico

Data udienza 10/03/2026 ore 11:00

Termine presentazione offerte 09/03/2026 ore 11:00

Albergo e pensione

Via Prestipaolo, 98054 Furnari ME, Italia, Furnari (ME)

€ 8.065.487,54

Offerta minima € 6.049.115,65


Codice A4332930

Lotto Lotto unico

Data udienza 10/03/2026 ore 11:00

Termine presentazione offerte 09/03/2026 ore 11:00

Ti interessa questa vendita?

Documentazione

Visualizza su mappa

Mappa geografica del bene

Punti di interesse

Fonte dati

Nel raggio di {{range}}Km

Loading...
  • {{ getIcon(poi.type) }} {{ poi.localized }}: {{poi.count}}
  • {{ getIcon(poi.type) }} {{ poi.localized }}: {{poi.count}}
Dati non disponibili

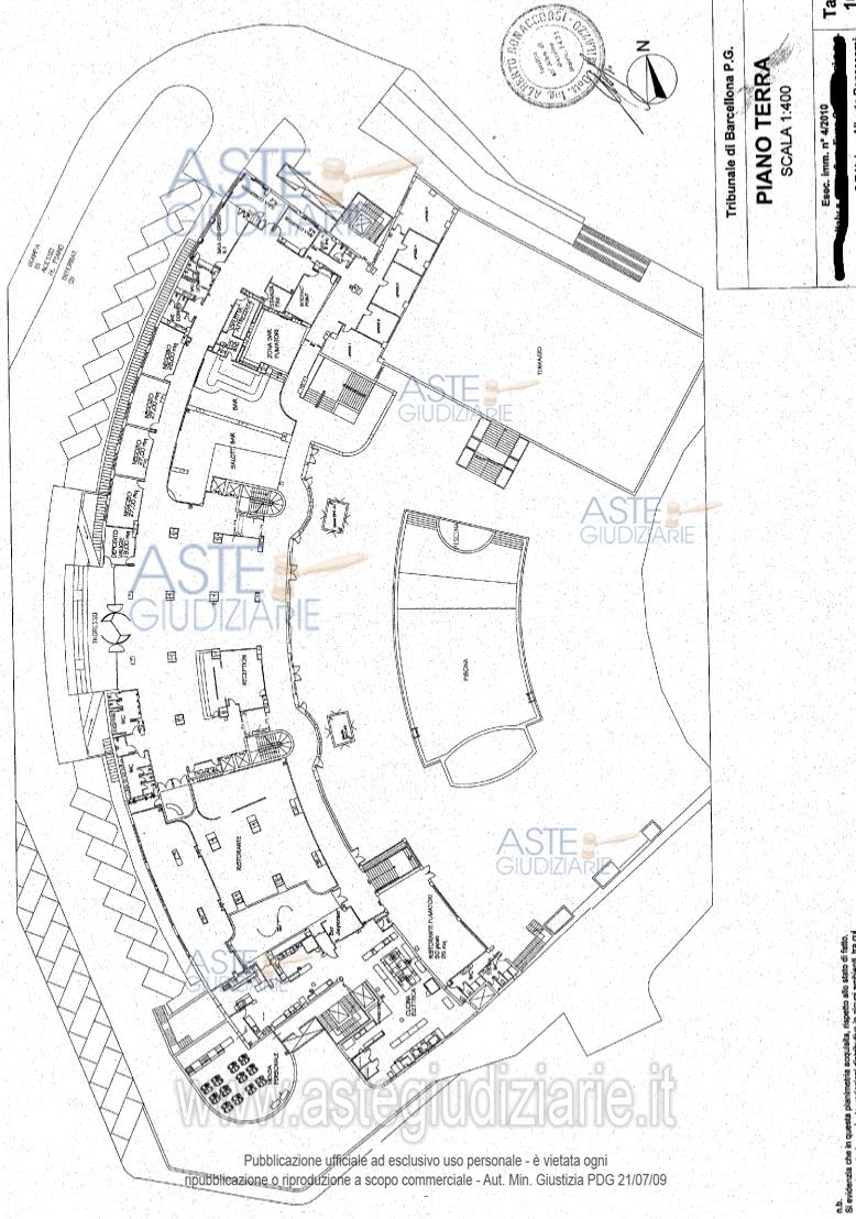
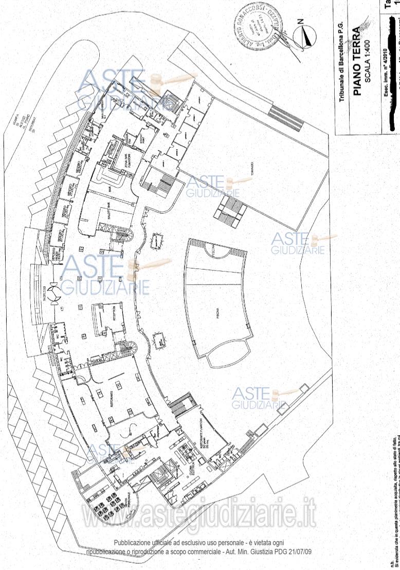
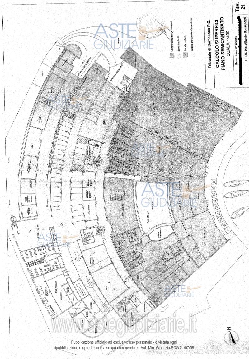
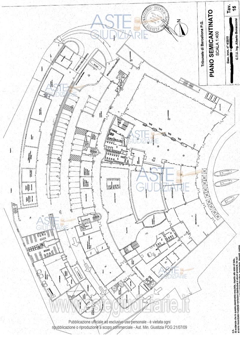
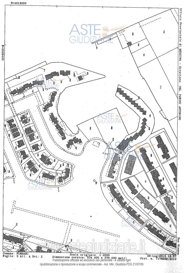
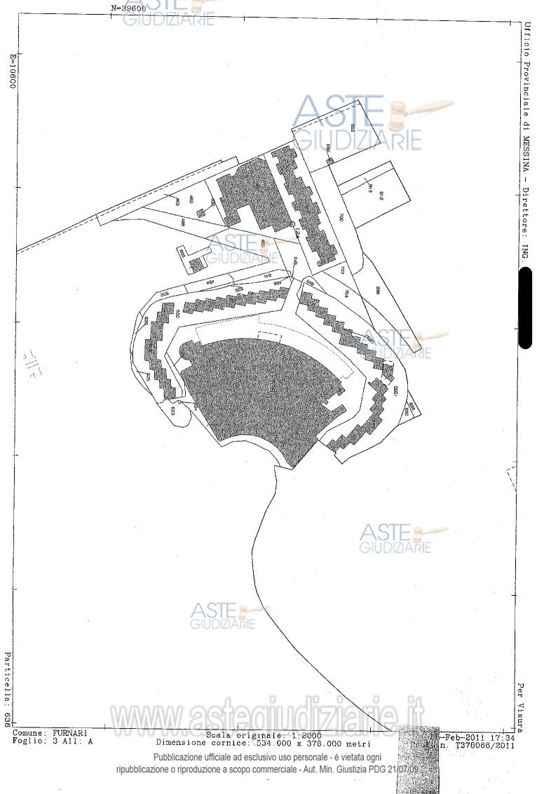
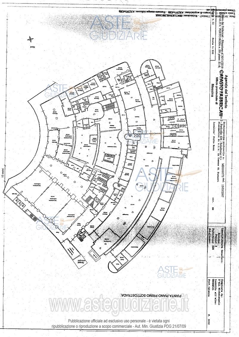
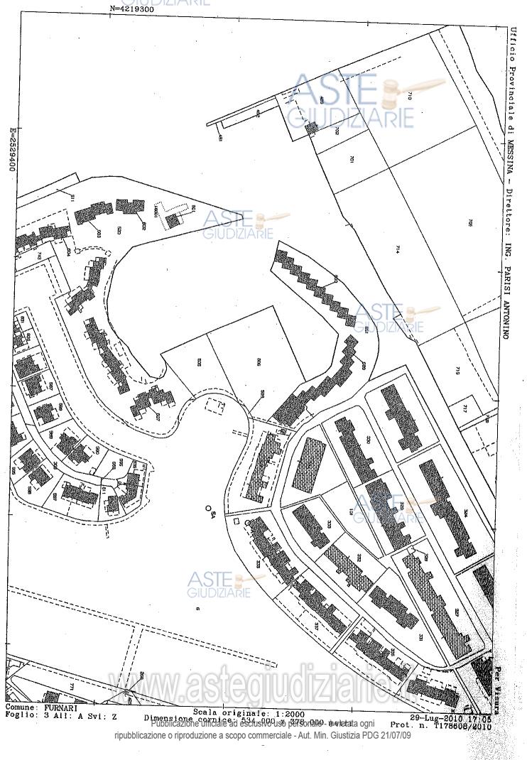
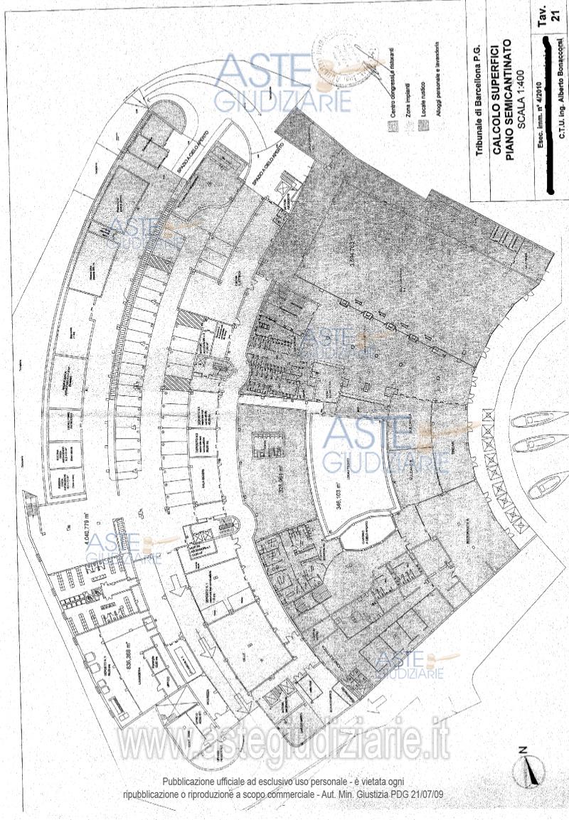
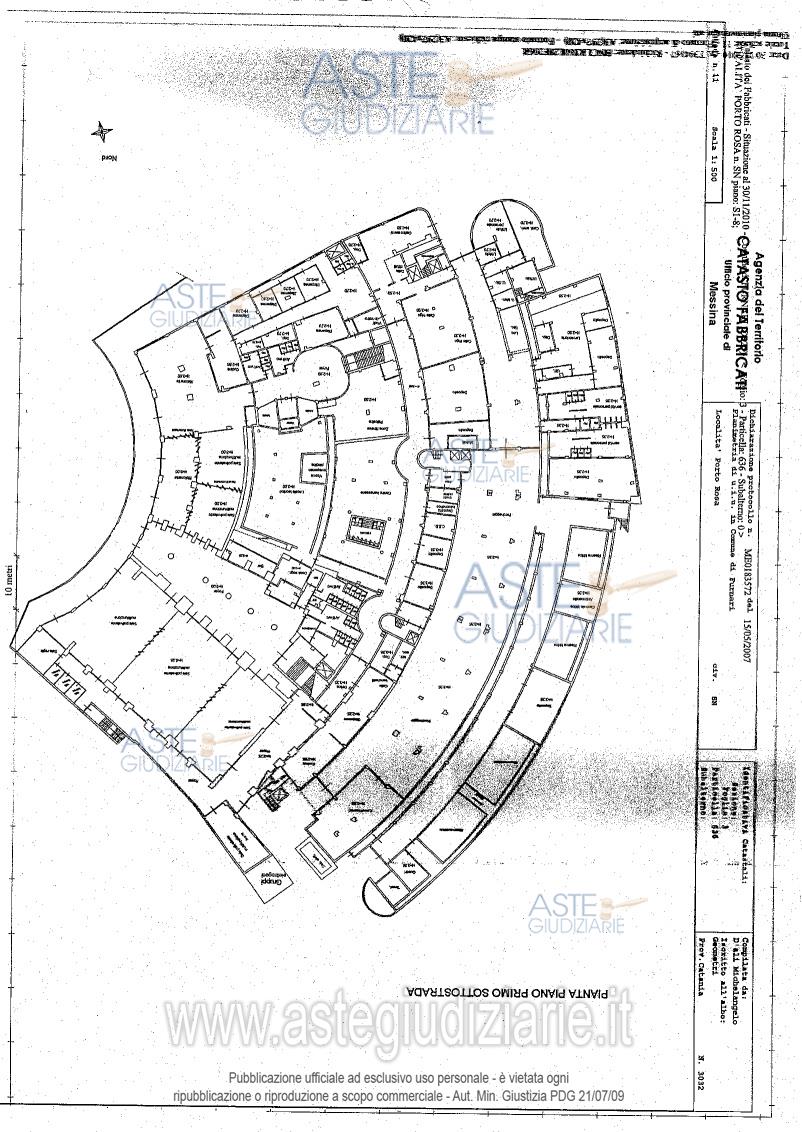
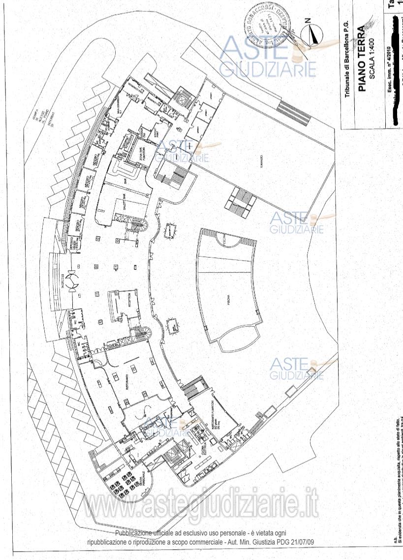
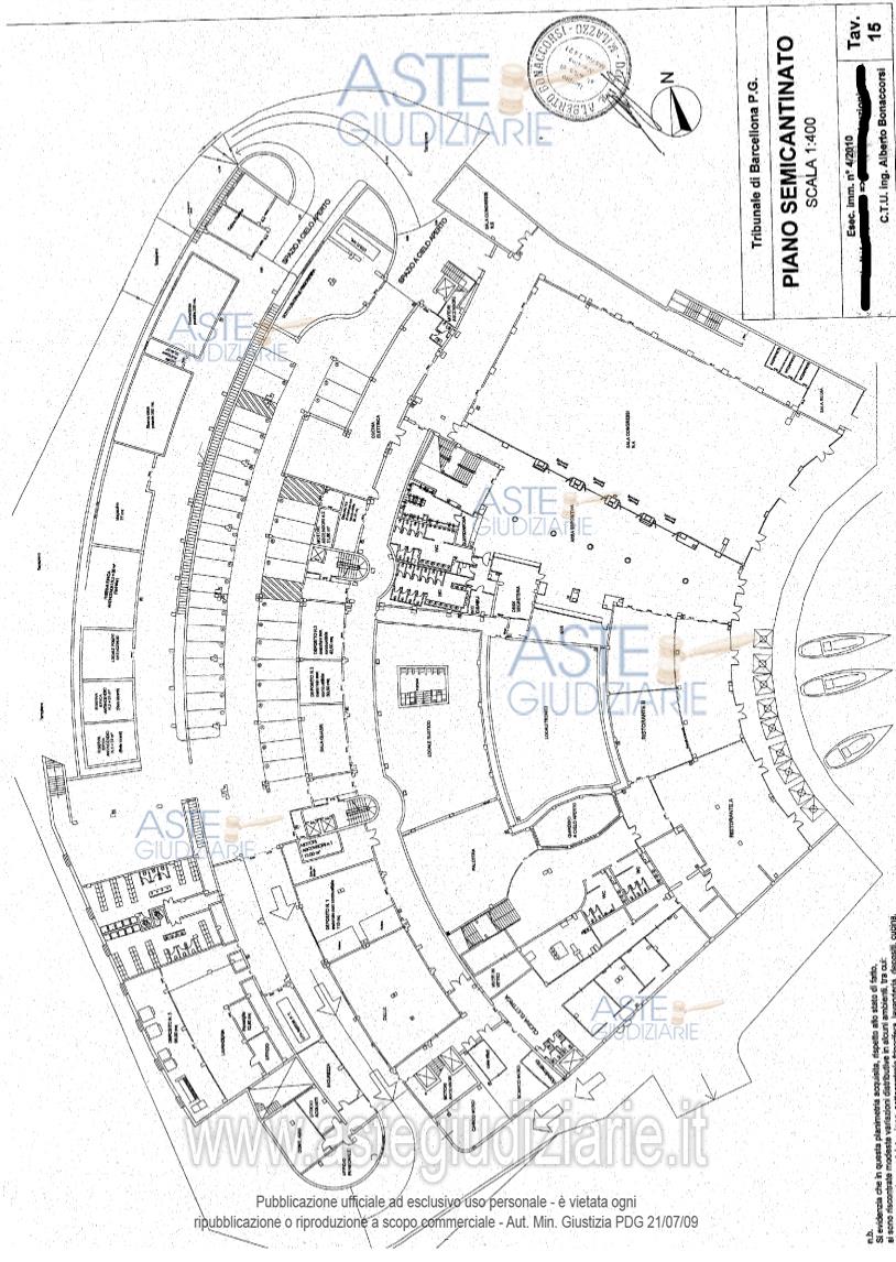
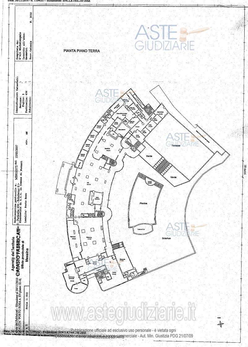
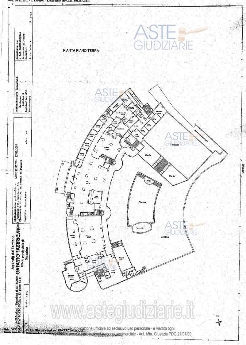
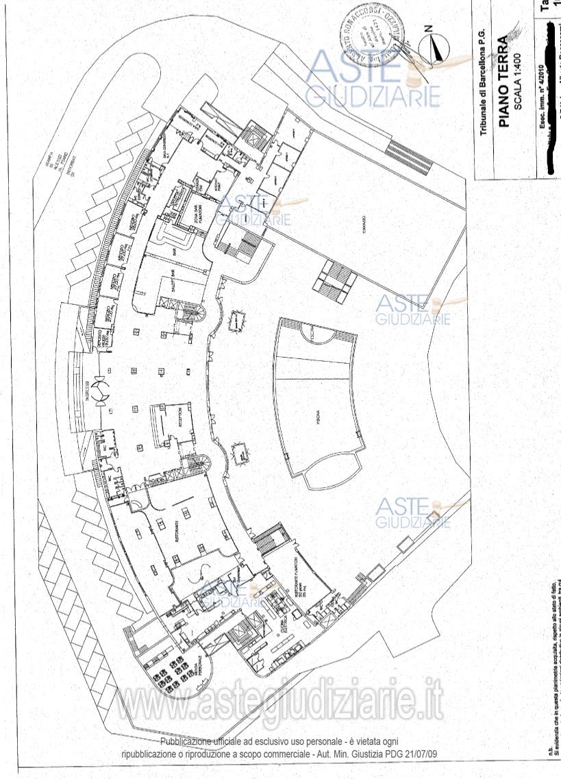
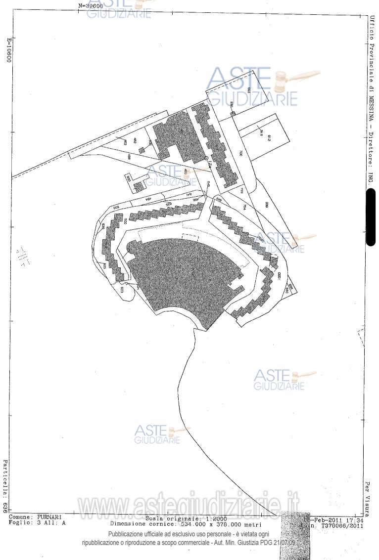
Struttura alberghiera comprensiva dei beni mobili costituenti gli arredi e le attrezzature e due terreni di qualità agrumeto.

Indirizzo
Via Prestipaolo, 98054 Furnari ME, Italia, Furnari (ME)


Codice asta
4332930


Lotto
Lotto unico


Numero beni
1


Genere
Immobili


Categoria
Altra categoria


Valore di stima
-


Albergo e pensione

Si vende grande e prestigiosa struttura alberghiera nel comune di Furnari (ME) nella località diPortorosa, complesso turistico caratterizzato da ville che si affacciano su canali navigabili,lungo i quali, sono dislocati gli ormeggi che costituiscono un porto turistico. È collocato nelpunto più rientrante della baia tra il golfo di Milazzo e di Tindari.Nello specifico, si vende in unico lotto:(i) piena proprietà dell’immobile uso albergo sito in Furnari (ME), VIA PRESTIPAOLO n. SN,Piano S1-8;(ii) piena proprietà dei beni mobili costituenti gli arredi e dalle attrezzature della suddettastruttura alberghiera, meglio indicati nella perizia di stima;(iii) piena proprietà del terreno agrumeto sito in Furnari (ME);(iv) piena proprietà del terreno agrumeto sito in Furnari (ME).

Indirizzo
Via Prestipaolo, 98054 Furnari ME, Italia, Furnari (ME)


Piano
-


Disponibilità
-


Vani
-


Bagni
-


Metri quadri
25816,35


Certificazione energetica
-


Data udienza
10/03/2026 ore 11:00


Tipo di vendita
Senza incanto


Modalità di vendita
Asincrona telematica


Luogo
N.A. -


Luogo presentazione offerte
-


Termine presentazione offerte
09/03/2026 ore 11:00


Prezzo base
€ 8.065.487,54


Offerta minima
€ 6.049.115,65


Rialzo minimo in caso di gara
€ 170.000,00


Deposito cauzionale
10% del prezzo offerto


Deposito in conto spese
-


Tribunale
Catania

Tipo di procedura
Fallimentare (nuovo rito)

Ruolo
196/2022

Giudice
Laurino Alessandro

Recapiti
-

Email
-

Curatore
Vella Alberto
(Procede alle operazioni di vendita)

Recapiti
-

Email
albertovella@gmail.com

Custode giudiziario
Vella Alberto
(Gestisce la visita del bene)

Recapiti
Tel. 095381606

Scheda COD. 4332930 - Pubblicata dal 16/01/2026

La presente scheda di vendita riporta integralmente informazioni e documenti pervenuti ufficialmente dal Ministero e dal professionista incaricato.

Pubblicazione notarizzata su Blockchain


Pubblicazione autorizzata dall’Autorità competente, è vietata ogni ripubblicazione o riproduzione anche parziale


Ti interessa questa vendita?

Documentazione

Visualizza su mappa

Mappa geografica del bene

Storico delle vendite

Data venditaPrezzo base
23/09/2025€ 14.338.644,50
10/12/2025€ 10.753.983,38
10/03/2026€ 8.065.487,54

Punti di interesse

Fonte dati

Nel raggio di {{range}}Km

Loading...
  • {{ getIcon(poi.type) }} {{ poi.localized }}: {{poi.count}}
  • {{ getIcon(poi.type) }} {{ poi.localized }}: {{poi.count}}
Dati non disponibili